Requests to determine the cause of damage
Here you can request to determine the cause of the damage. You can view the requests of other users and sort them according to the selected criteria. In addition, you can get information about your request, and you can follow the progress of its current state. If your application was not approved, it had probably been because it was impossible to identify the damage based on the sent photos or because the application does not address our topic - determining the pests of trees and shrubs. We will inform you about the status of your application by email.
Rejected requests are not displayed. You have been notified by email that your application has been denied.
Question
Answer
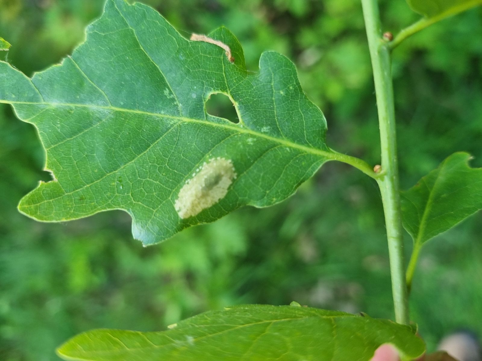
Pest
Oak lace bug
Corythucha arcuata

Add comment: Oak lace bug
Question
Answer
Pest
Oak lace bug
Corythucha arcuata

Add comment: Oak lace bug
Question
Answer
Pest
Leaf blotch miner moth
Phyllonorycter roboris

Add comment: Leaf blotch miner moth
Question
Answer
Pest
Aphid Prociphilus bumeliae
Prociphilus bumeliae

Add comment: Aphid Prociphilus bumeliae
Question
Answer
Pest
Shaggy pholiota
Pholiota squarrosa
Add comment: Shaggy pholiota
Question
Answer
Pest
Long-horned beetle Cerambyx scopolii
Cerambyx scopolii

Add comment: Long-horned beetle Cerambyx scopolii
Question
Answer
Pest
European spruce bark beetle
Ips typographus

Add comment: European spruce bark beetle
Question
Answer
Pest
European spruce bark beetle
Ips typographus

Add comment: European spruce bark beetle
Question
Answer
Pest
A - nejednoznačne určený, nie sme si istí

Add comment:
Question
Answer
Pest
Plane tree powdery mildew
Erysiphe platani
Add comment: Plane tree powdery mildew
Question
Answer
Pest
Oak lace bug
Corythucha arcuata

Add comment: Oak lace bug
Question
Answer
Pest
Harlequin ladybird
Harmonia axyridis

























