Login | Registration | List of contributors

« Back

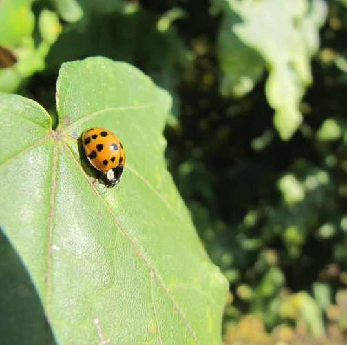
Harmonia axyridis

Harlequin ladybird

Description

The Harlequin ladybird is a predatory beetle native to East Asia. In order to biologically control phytophagous insects, especially aphids, it has been targeted on several continents, including Europe. On the other hand, in many territories and localities it has become an undesirable colonizer in high numbers wintering in human dwellings. The images of the invasive population of the Harlequin ladybird in Europe have a clearly visible transverse bar on the back of the bushes. It distinguishes this type of ladybug from most of our types of ladybugs with the absence of this bar. The length of the body is often over 5 mm. Ladybugs in Central Europe winter at the imago stage, often in large aggregations, mostly in buildings and various man-made objects. Individuals wintering in warm buildings leave the aggregations as early as January to March, starving and dying prematurely due to lack of food. Harlequin ladybird leaves wintering grounds depending on the air temperature in March to April. It is characterized by high fertility and long-lasting fertility, so a single fertilized female laying eggs in clusters of 20 to 80 pieces can establish a new large colony even without male access.

Symptom

Nice red beetle with black sports. It is most often found on leaves when resting or moving for food, without symptoms of damage to the host plant.

Tree Species: Different tree species

Part of a plant- attacked: Fruit / Seed

Pest significance: Not harmful

Pest Category: Insects

Invasive Species: Yes

Present in EU: Yes


Add comment: Harmonia axyridis


Location map: Harmonia axyridis

print view

Legend:

1

Expert verified points

3

Unverified points

Observed by users on these tree species

 


Last observations

There are a total of 19 observations of the species in the system

milansimo343

Harmonia axyridisHarlequin ladybird
milansimo343
Number of votes: 0
Published: 29.6.2025

 Ľubica G

Harmonia axyridisHarlequin ladybird
Ľubica G
Number of votes: 0
Published: 18.6.2025

Milan Zubrik

Harmonia axyridisHarlequin ladybird
Milan Zubrik
Number of votes: 0
Published: 21.4.2024

Marek

Harmonia axyridisHarlequin ladybird
Marek
Number of votes: 0
Published: 13.6.2022

Marek

Harmonia axyridisHarlequin ladybird
Marek
Number of votes: 0
Published: 13.6.2022


Similar damage

Leaf beetle Phyllodecta vitellinae

Leaf beetle Phyllodecta vitellinae

Leaf beetle Gonioctena quinquepunctata

Leaf beetle Gonioctena quinquepunctata

Oak flea beetle

Oak flea beetle

Leaf beetle Chrysomela vigintipunctata

Leaf beetle Chrysomela vigintipunctata

Back to top