Phyllonorycter roboris
Leaf blotch miner moth
Description
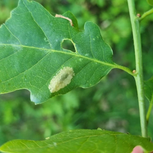
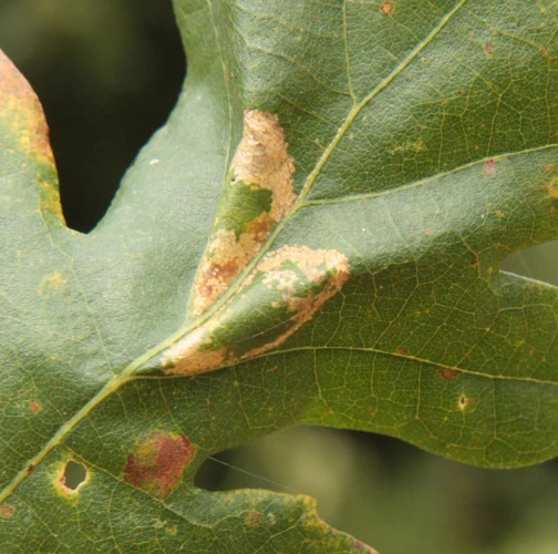
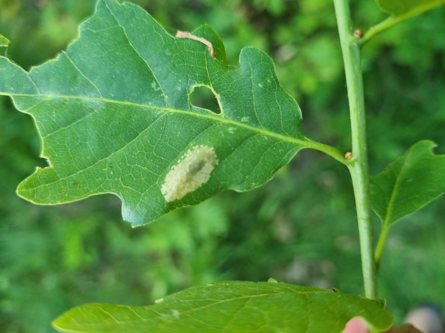
Bivoltine, adults fly from July to October. The larva makes a tent-like blotch mine on the underside of the leaf, pulling moderately the leaf together. On the upper side there is a green island on the tent-like bump. The faeces can be found in one pile at one end of the mine. The larva is whitish with brown head. Pupates in the mine attaching itself to the untouched leaf tissue. It is common everywhere in Europe. Its influence is regularly not severe.
Symptom
The larva makes a tent-like blotch mine on the underside of the leaf, pulling moderately the leaf together.
Tree Species: Oak
Part of a plant- attacked: Leaf / Needle
Pest significance: Less harmful
Pest Category: Insects
Invasive Species: No
Present in EU: Yes
Add comment: Phyllonorycter roboris
Location map: Phyllonorycter roboris
print viewLegend:

Expert verified points

Unverified points
Observed by users on these tree species
Most sightings of the species
Last observations
There are a total of 1 observations of the species in the system


