Login | Registration | List of contributors

Requests to determine the cause of damage

Here you can request to determine the cause of the damage. You can view the requests of other users and sort them according to the selected criteria. In addition, you can get information about your request, and you can follow the progress of its current state. If your application was not approved, it had probably been because it was impossible to identify the damage based on the sent photos or because the application does not address our topic - determining the pests of trees and shrubs. We will inform you about the status of your application by email.

Filter reset

Code
Date
Assigned
Status
Days from submission
7470
26.2.2026
A. Kunca
Completed
0
7469
26.2.2026
M. Zúbrik
Completed
0
7456
20.2.2026
A. Kunca
Completed
4
7455
19.2.2026
M. Zúbrik
Completed
1
7449
17.2.2026
M. Zúbrik
Completed
1
7448
17.2.2026
V. Longauerová
Completed
1
7416
2.2.2026
M. Zúbrik
Completed
0
7415
2.2.2026
A. Kunca
Completed
1
7409
27.1.2026
R. Leontovyč
Completed
7
7407
27.1.2026
A. Kunca
Completed
7

Rejected requests are not displayed. You have been notified by email that your application has been denied.

 

Summer chafer
Chrústik letný
Summer chafer
Number: 1498
Received 30.6.2021
In progress: 2 days
Date of occurrence: 30.6.2021
Significance: Less harmful
Discussion
Assigned: S. Rell
Country: Slovakia

Question

Lietalo to okolo domu mal som pocit akoby to vyletovalo z krovu

Answer

Dobrý deň, jedná sa o chrústika letného - Amphimallon solstitiale. Nie je to drevokazný hmyz. Larvy sa vyvíjajú v pôde, kde sa živia koreňmi tráv. Dospelé jedince sa živia rôznymi rastlinami a listami stromov, často ovocných.
Number of votes for this answer: 0

Pest

Summer chafer

Amphimallon solstitiale

Summer chafer

Amphimallon solstitiale

hmyz

Received: 30.6.2021
Wood: -
Number: 1498
Date of occurrence: 30.6.2021
Discussion

Add comment: Summer chafer

Silver fir woolly aphid
Silver fir woolly aphid
Number: 1492
Received 28.6.2021
In progress: 2 days
Date of occurrence: 28.6.2021
Significance: Very harmful
Discussion
From: ak73
Assigned: A. Kunca
Country: Slovakia

Question

asi dreyphusia

Answer

Poškodenie jedlín kôrovnicou kaukazskou Dreyfusia nordmannianae.   A.K.
Number of votes for this answer: 0

Pest

Silver fir woolly aphid

Dreyfusia nordmannianae

Silver fir woolly aphid

Dreyfusia nordmannianae

hmyz

Received: 28.6.2021
Wood: Jedľa
Number: 1492
Date of occurrence: 28.6.2021
Discussion

Add comment: Silver fir woolly aphid

Red banded polypore
Práchnovček pásikavý
Red banded polypore
Number: 1489
Received 26.6.2021
In progress: 5 days
Date of occurrence: 26.6.2021
Significance: Harmful
Discussion
From: majo
Assigned: A. Kunca
Country: Slovakia

Question

na smrekovom pni

Answer

Ahopj Majo,   je to Fomitopsis pinicola, spôsobuje červenú hranolčekovito sa rozpadajúcu hnilobu. Bežne v lese videteľné. Teda nielen Heterobasidion spôsobuje červenú hnilobu. Opäť krásna fotka!    Vďaka a drž sa!   Andrej
Number of votes for this answer: 1

Pest

Red banded polypore

Fomitopsis pinicola

Red banded polypore

Fomitopsis pinicola

huby

Received: 26.6.2021
Wood: Smrek
Number: 1489
Date of occurrence: 26.6.2021
Discussion

Add comment: Red banded polypore

Harlequin ladybird
Harlequin ladybird
Number: 1487
Received 26.6.2021
In progress: 0 days
Date of occurrence: 26.6.2021
Significance: Not harmful
Discussion
Assigned: M. Zúbrik
Country: Slovakia

Question

Vyskyt na ceresni, na cybuli v okoli bioodpadu vo velkom mnozstve.

Answer

Je to larva lienky východnej Harmonia axyridis. Viac o nej tu: https://www.skodcoviadrevin.sk/harmonia-axyridis Stáva sa, že sa vyskytuje vo veľkom množstve, najmä ak je v okolí dostatok jej potravy - vošiek. Drevinám ani rastlinám nijako neškodí. Pekný večer. MZ
Number of votes for this answer: 0

Pest

Harlequin ladybird

Harmonia axyridis

Harlequin ladybird

Harmonia axyridis

hmyz

Received: 26.6.2021
Wood: Čerešňa
Number: 1487
Date of occurrence: 26.6.2021
Discussion

Add comment: Harlequin ladybird

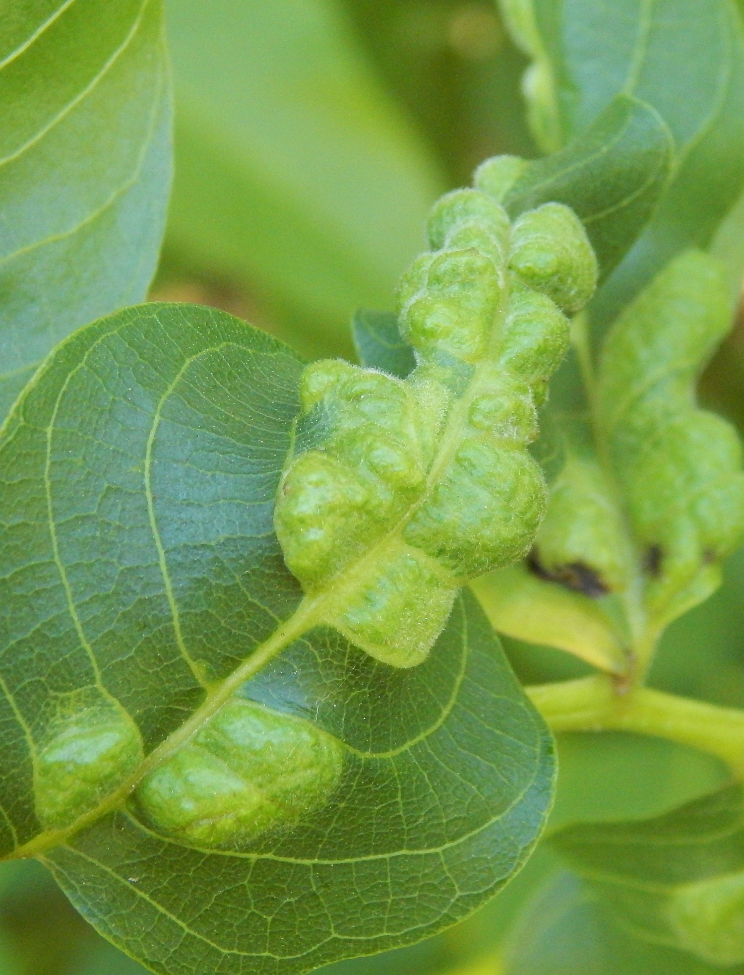
Walnut leaf gall mite
Roztoč Aceria erineaRoztoč Aceria erinea
Walnut leaf gall mite
Number: 1485
Received 25.6.2021
In progress: 1 days
Date of occurrence: 25.6.2021
Significance: Less harmful
Discussion
From: majo
Assigned: M. Zúbrik
Country: Slovakia

Question

Answer

Je to roztoč Aceria erinea. Bežný roztoč na listoch orecha. Ďakujeme za pekné fotografie. Pekný večer. MZ
Number of votes for this answer: 0

Pest

Walnut leaf gall mite

Aceria erinea

Walnut leaf gall mite

Aceria erinea

roztoce

Received: 25.6.2021
Wood: Orech
Number: 1485
Date of occurrence: 25.6.2021
Discussion

Add comment: Walnut leaf gall mite

Walnut leaf gall mite
Roztoč Aceria erinea
Walnut leaf gall mite
Number: 1478
Received 23.6.2021
In progress: 0 days
Date of occurrence: 23.6.2021
Significance: Less harmful
Discussion
From: zahradkar
Assigned: M. Zúbrik
Country: Slovakia

Question

?

Answer

Je to roztoč Aceria erinea. MZ
Number of votes for this answer: 0

Pest

Walnut leaf gall mite

Aceria erinea

Walnut leaf gall mite

Aceria erinea

roztoce

Received: 23.6.2021
Wood: Orech
Number: 1478
Date of occurrence: 23.6.2021
Discussion

Add comment: Walnut leaf gall mite

Oak powdery mildew
Oak powdery mildew
Number: 1477
Received 23.6.2021
In progress: 0 days
Date of occurrence: 23.6.2021
Significance: Harmful
Discussion
From: zahradkar
Assigned: M. Zúbrik
Country: Slovakia

Question

?

Answer

Je to drobnomúčka dubová Microsphaera alphitoides. MZ
Number of votes for this answer: 0

Pest

Oak powdery mildew

Microsphaera alphitoides

Oak powdery mildew

Microsphaera alphitoides

huby

Received: 23.6.2021
Wood: Dub
Number: 1477
Date of occurrence: 23.6.2021
Discussion

Add comment: Oak powdery mildew

Oak lace bug
Sietnička dubováSietnička dubová
Oak lace bug
Number: 1476
Received 23.6.2021
In progress: 0 days
Date of occurrence: 23.6.2021
Significance: Harmful
Discussion
From: zahradkar
Assigned: M. Zúbrik
Country: Slovakia

Question

?

Answer

Je to sietnička Corythucha arcuata. MZ
Number of votes for this answer: 0

Pest

Oak lace bug

Corythucha arcuata

Oak lace bug

Corythucha arcuata

hmyz

Received: 23.6.2021
Wood: Dub
Number: 1476
Date of occurrence: 23.6.2021
Discussion

Add comment: Oak lace bug

Gall wasp Andricus caputmedusae
Gall wasp Andricus caputmedusae
Number: 1472
Received 22.6.2021
In progress: 0 days
Date of occurrence: 22.6.2021
Significance: Less harmful
Discussion
From: zahradkar
Assigned: M. Zúbrik
Country: Slovakia

Question

halky

Answer

Je to hčiarka Andricus caputmedusae. 
Number of votes for this answer: 0

Pest

Gall wasp Andricus caputmedusae

Andricus caputmedusae

Gall wasp Andricus caputmedusae

Andricus caputmedusae

hmyz

Received: 22.6.2021
Wood: Dub
Number: 1472
Date of occurrence: 22.6.2021
Discussion

Add comment: Gall wasp Andricus caputmedusae

Cynipid gall wasp Cynips quercusfolii
Cynipid gall wasp Cynips quercusfolii
Number: 1471
Received 22.6.2021
In progress: 1557 days
Date of occurrence: 22.6.2021
Significance: Less harmful
Discussion
From: zahradkar
Assigned: M. Zúbrik
Country: Slovakia

Question

halka na spodnej strane listu

Answer

Hálka malej osičky. Sexuálna generácia žije v malej okrúhlej hrčke na spodu listu. 
Number of votes for this answer: 0

Pest

Cynipid gall wasp Cynips quercusfolii

Cynips quercusfolii

Cynipid gall wasp Cynips quercusfolii

Cynips quercusfolii

hmyz

Received: 22.6.2021
Wood: Dub
Number: 1471
Date of occurrence: 22.6.2021
Discussion

Add comment: Cynipid gall wasp Cynips quercusfolii

Oak lace bug
Oak lace bug
Number: 1468
Received 22.6.2021
In progress: 0 days
Date of occurrence: 22.6.2021
Significance: Harmful
Discussion
From: zahradkar
Assigned: M. Zúbrik
Country: Slovakia

Question

vajicka na spodnes strane listov

Answer

Vajíčka druhu sietnička Corythucha arcuata. Žije na listoch dubov. 
Number of votes for this answer: 0

Pest

Oak lace bug

Corythucha arcuata

Oak lace bug

Corythucha arcuata

hmyz

Received: 22.6.2021
Wood: Dub
Number: 1468
Date of occurrence: 22.6.2021
Discussion

Add comment: Oak lace bug

Fistulina hepatica
Fistulina hepatica
Number: 1460
Received 20.6.2021
In progress: 2 days
Date of occurrence: 20.6.2021
Significance: Harmful
Discussion
From: majo
Assigned: V. Longauerová
Country: Slovakia

Question

na mŕtvom dreve

Answer

Dobrý deň,  podľa priloženého obrázku sa jedná o mladú a poškodenú plodnicu Pečeňovca dubového - Fistulina hepatica. Je to významný šodca dubov a gaštanov, spôsobuje hnednutie jadrového drevaa. Plodnica je jednoročná, šťavnato mäsitá, pretiahnuto hrubo jazykovitá. Na reze pripomína čerstvé krvavé hovädzie mäso, plodnice sú jedlé. S pozdravom. Valeria Longauerová  
Number of votes for this answer: 0

Pest

Fistulina hepatica

Fistulina hepatica

Fistulina hepatica

Fistulina hepatica

huby

Received: 20.6.2021
Wood: Buk
Number: 1460
Date of occurrence: 20.6.2021
Discussion

Add comment: Fistulina hepatica

Back to top