Login | Registration | List of contributors

« Back

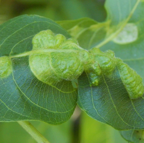
Aceria erinea

Walnut leaf gall mite

Description

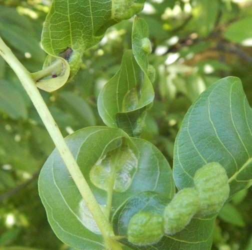
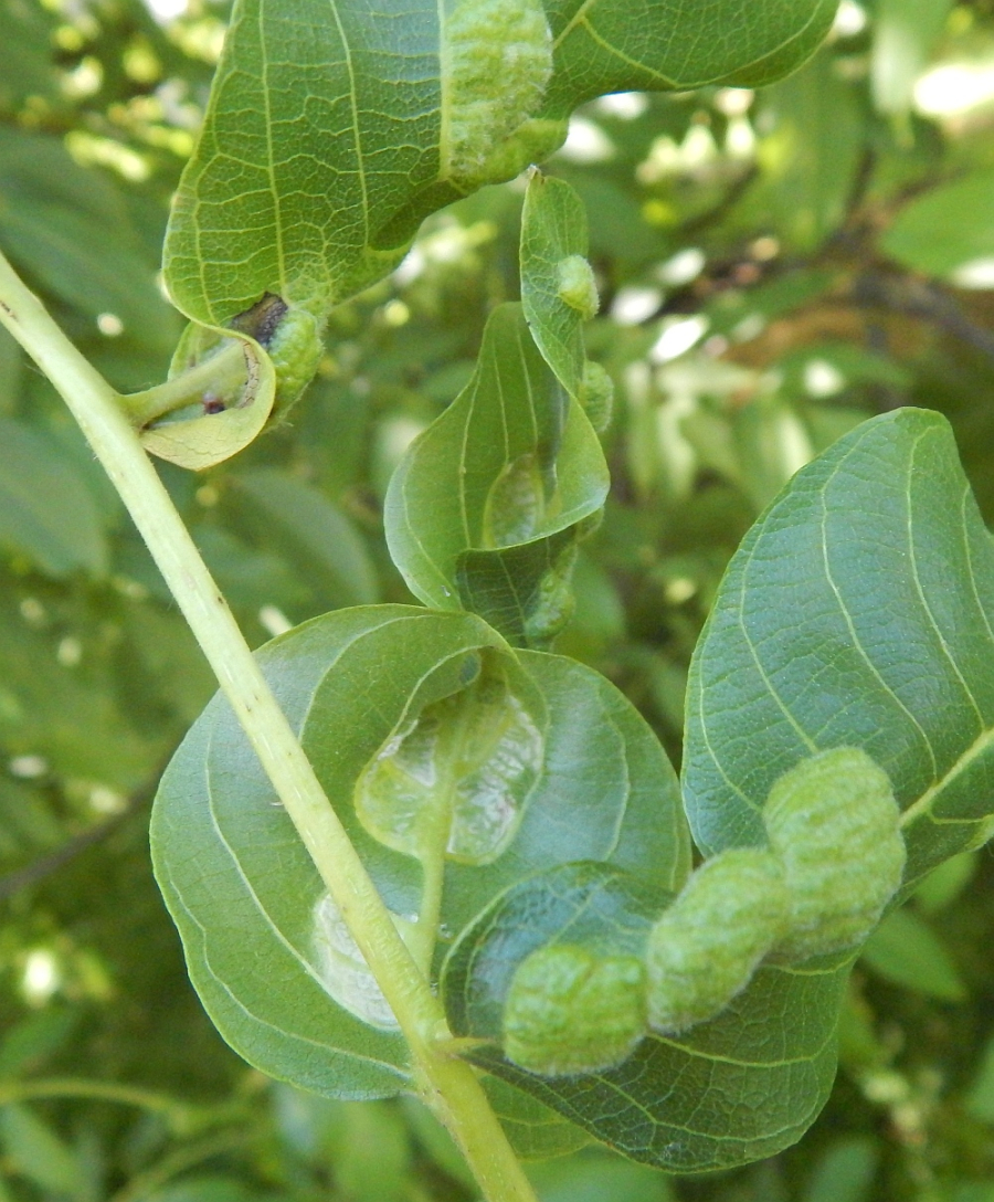
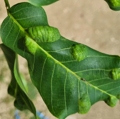
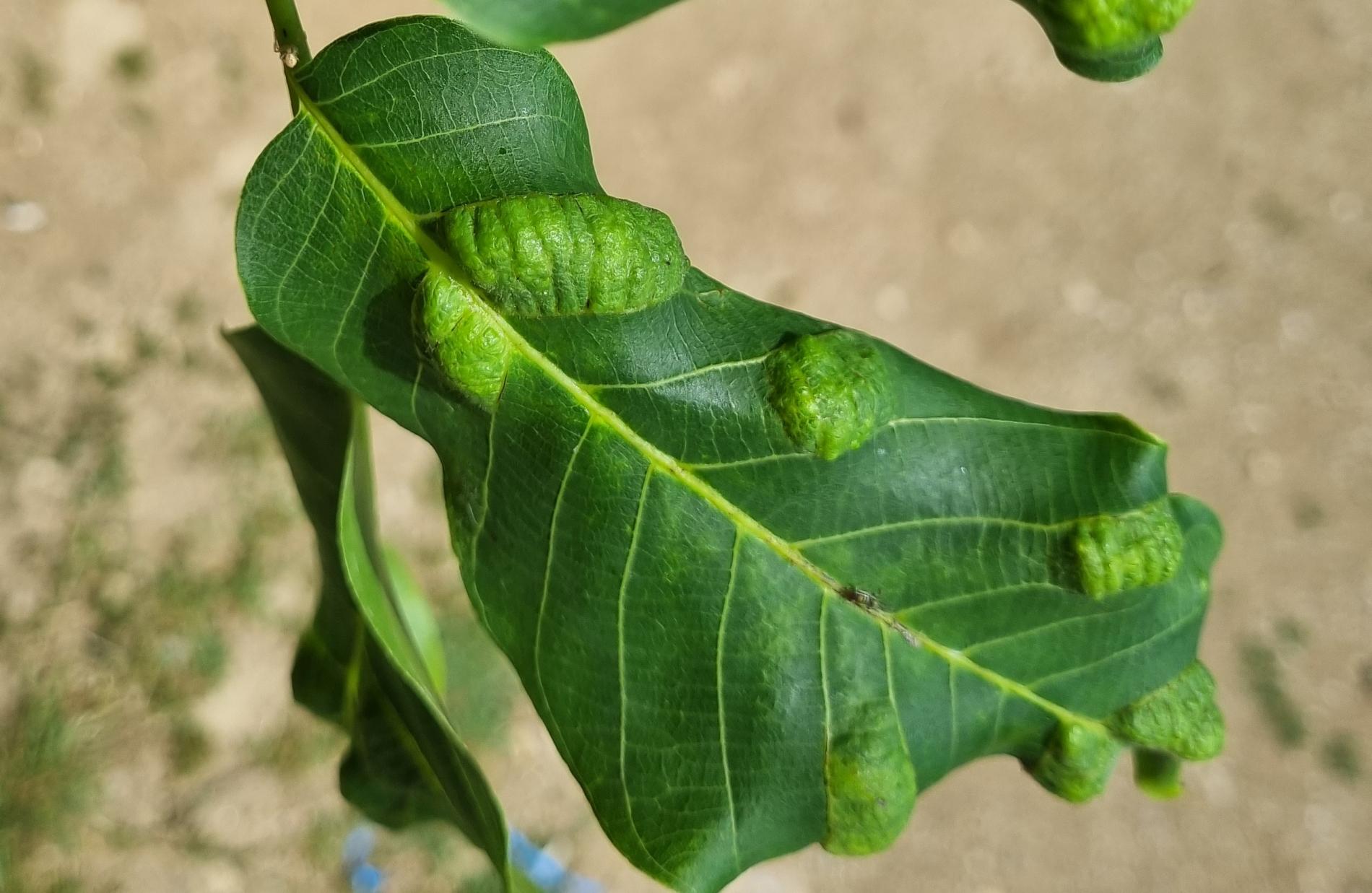
Numerous bulges appear on walnut leaves, different size and shape. The bulges are caused by a tiny mite, only 0.08–0.2 mm in size, hardly visible even through a magnifying glass. The pest overwinters on buds and colonizes sprouting leaves in spring. Its presence results in a formation of bulges on leaves and felt-like film (erineum) formed on the underside of leaves. The erineum creates a favourable habitat for the mite, sheltering its development from external effects. This pest has several generations per a year.

Symptom

Bulges on leaves and felt-like film (erineum) formed on the underside of leaves.

Tree Species: Walnut

Part of a plant- attacked: Leaf / Needle

Pest significance: Less harmful

Pest Category: Mites

Invasive Species: No

Present in EU: Yes


Add comment: Aceria erinea


Location map: Aceria erinea

print view

Legend:

1

Expert verified points

3

Unverified points

Observed by users on these tree species

 


Last observations

There are a total of 4 observations of the species in the system

Michala Sláviková

Aceria erineaWalnut leaf gall mite
Michala Sláviková
Number of votes: 0
Published: 6.6.2024

Michala Sláviková

Aceria erineaWalnut leaf gall mite
Michala Sláviková
Number of votes: 0
Published: 6.6.2024

Lukáš Bajcura

Aceria erineaWalnut leaf gall mite
Lukáš Bajcura
Number of votes: 0
Published: 8.6.2023

Marián Slamka

Aceria erineaWalnut leaf gall mite
Marián Slamka
Number of votes: 0
Published: 25.6.2021

majo

Aceria erineaWalnut leaf gall mite
majo
Number of votes: 0
Published: 25.6.2021


Similar damage

Mite Aceria campestricola

Mite Aceria campestricola

Gall mite Aceria macrochela

Gall mite Aceria macrochela

Mite Aceria brevitarsa brevitarsa

Mite Aceria brevitarsa brevitarsa

Gall mite Aceria tristriata

Gall mite Aceria tristriata

Back to top