Login | Registration | List of contributors

Requests to determine the cause of damage

Here you can request to determine the cause of the damage. You can view the requests of other users and sort them according to the selected criteria. In addition, you can get information about your request, and you can follow the progress of its current state. If your application was not approved, it had probably been because it was impossible to identify the damage based on the sent photos or because the application does not address our topic - determining the pests of trees and shrubs. We will inform you about the status of your application by email.

Filter reset

Code
Date
Assigned
Status
Days from submission
7470
26.2.2026
A. Kunca
Completed
0
7469
26.2.2026
M. Zúbrik
Completed
0
7456
20.2.2026
A. Kunca
Completed
4
7455
19.2.2026
M. Zúbrik
Completed
1
7449
17.2.2026
M. Zúbrik
Completed
1
7448
17.2.2026
V. Longauerová
Completed
1
7442
10.2.2026
J. Galko
In progress
17
7415
2.2.2026
A. Kunca
Completed
1
7409
27.1.2026
R. Leontovyč
Completed
7
7407
27.1.2026
A. Kunca
Completed
7

Rejected requests are not displayed. You have been notified by email that your application has been denied.

 

Sycamore lace bug
Sycamore lace bug
Number: 6670
Received 5.8.2025
In progress: 0 days
Date of occurrence: 5.8.2025
Significance: Harmful
Discussion
From: miso
Assigned: michal.lalik@nlcsk.org
Country: Slovakia

Question

Answer

Monitoring 
Number of votes for this answer: 0

Pest

Sycamore lace bug

Corythucha ciliata

Sycamore lace bug

Corythucha ciliata

hmyz

Received: 5.8.2025
Wood: Platan
Number: 6670
Date of occurrence: 5.8.2025
Discussion

Add comment: Sycamore lace bug

Oak lace bug
Oak lace bug
Number: 6669
Received 5.8.2025
In progress: 0 days
Date of occurrence: 5.8.2025
Significance: Harmful
Discussion
From: miso
Assigned: michal.lalik@nlcsk.org
Country: Slovakia

Question

Answer

Monitoring
Number of votes for this answer: 0

Pest

Oak lace bug

Corythucha arcuata

Oak lace bug

Corythucha arcuata

hmyz

Received: 5.8.2025
Wood: Dub
Number: 6669
Date of occurrence: 5.8.2025
Discussion

Add comment: Oak lace bug

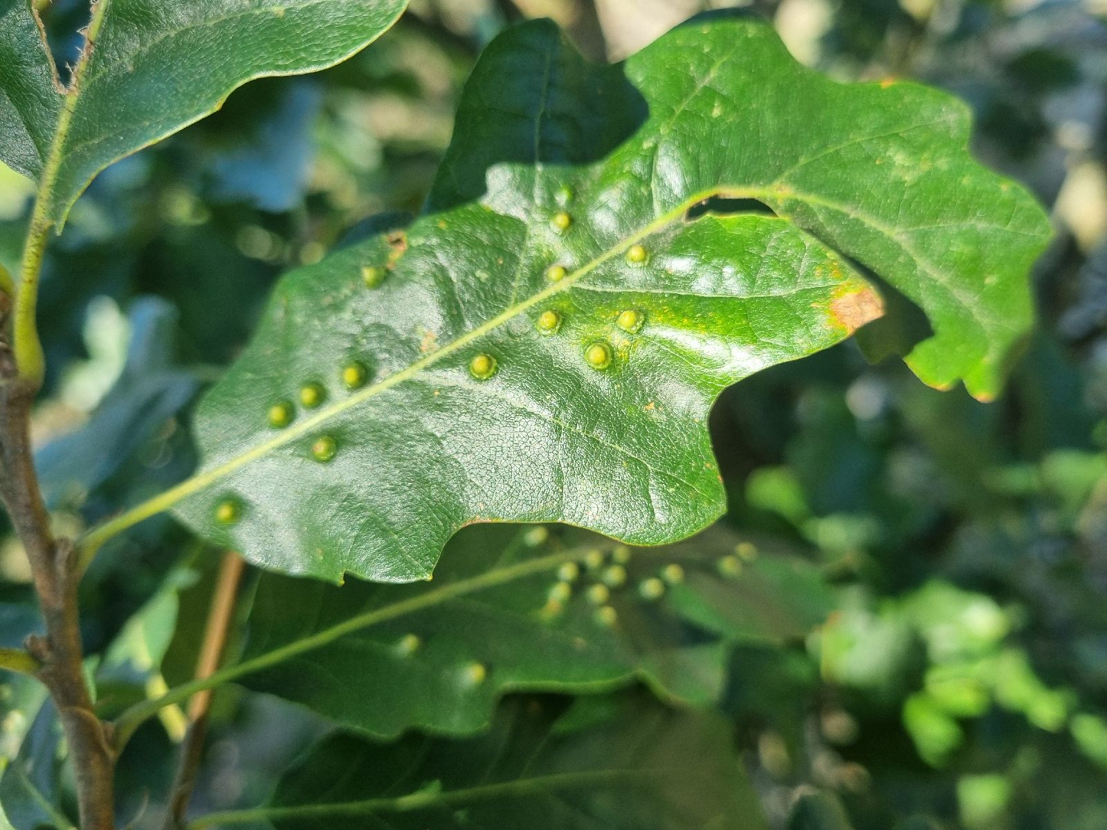
Gall wasp Neuroterus lanuginosus
Gall wasp Neuroterus lanuginosus
Number: 6668
Received 5.8.2025
In progress: 0 days
Date of occurrence: 5.8.2025
Significance: Less harmful
Discussion
From: milan
Assigned: M. Zúbrik
Country: Slovakia

Question

Answer

monitoring
Number of votes for this answer: 0

Pest

Gall wasp Neuroterus lanuginosus

Neuroterus lanuginosus

Gall wasp Neuroterus lanuginosus

Neuroterus lanuginosus

hmyz

Received: 5.8.2025
Wood: Dub
Number: 6668
Date of occurrence: 5.8.2025
Discussion

Add comment: Gall wasp Neuroterus lanuginosus

Cynipid gall wasp Cynips quercusfolii
Cynipid gall wasp Cynips quercusfolii
Number: 6666
Received 5.8.2025
In progress: 0 days
Date of occurrence: 5.8.2025
Significance: Less harmful
Discussion
From: milan
Assigned: M. Zúbrik
Country: Slovakia

Question

Answer

monitoring
Number of votes for this answer: 0

Pest

Cynipid gall wasp Cynips quercusfolii

Cynips quercusfolii

Cynipid gall wasp Cynips quercusfolii

Cynips quercusfolii

hmyz

Received: 5.8.2025
Wood: Dub
Number: 6666
Date of occurrence: 5.8.2025
Discussion

Add comment: Cynipid gall wasp Cynips quercusfolii

Gall wasp Trigonaspis synaspis
Gall wasp Trigonaspis synaspis
Number: 6665
Received 5.8.2025
In progress: 0 days
Date of occurrence: 5.8.2025
Significance: Less harmful
Discussion
From: milan
Assigned: M. Zúbrik
Country: Slovakia

Question

Answer

monitoring
Number of votes for this answer: 0

Pest

Gall wasp Trigonaspis synaspis

Trigonaspis synaspis

Gall wasp Trigonaspis synaspis

Trigonaspis synaspis

hmyz

Received: 5.8.2025
Wood: Dub
Number: 6665
Date of occurrence: 5.8.2025
Discussion

Add comment: Gall wasp Trigonaspis synaspis

Gall midge Dryomyia circinans
Gall midge Dryomyia circinans
Number: 6664
Received 5.8.2025
In progress: 0 days
Date of occurrence: 5.8.2025
Significance: Less harmful
Discussion
From: milan
Assigned: M. Zúbrik
Country: Slovakia

Question

Answer

monitoring
Number of votes for this answer: 0

Pest

Gall midge Dryomyia circinans

Dryomyia circinans

Gall midge Dryomyia circinans

Dryomyia circinans

hmyz

Received: 5.8.2025
Wood: Dub
Number: 6664
Date of occurrence: 5.8.2025
Discussion

Add comment: Gall midge Dryomyia circinans

Gall wasp Andricus caputmedusae
Gall wasp Andricus caputmedusae
Number: 6663
Received 5.8.2025
In progress: 0 days
Date of occurrence: 5.8.2025
Significance: Less harmful
Discussion
From: milan
Assigned: M. Zúbrik
Country: Slovakia

Question

Answer

monitoring
Number of votes for this answer: 0

Pest

Gall wasp Andricus caputmedusae

Andricus caputmedusae

Gall wasp Andricus caputmedusae

Andricus caputmedusae

hmyz

Received: 5.8.2025
Wood: Dub
Number: 6663
Date of occurrence: 5.8.2025
Discussion

Add comment: Gall wasp Andricus caputmedusae

Cynipid gall wasp Cynips quercusfolii
Cynipid gall wasp Cynips quercusfolii
Number: 6662
Received 5.8.2025
In progress: 0 days
Date of occurrence: 5.8.2025
Significance: Less harmful
Discussion
From: milan
Assigned: M. Zúbrik
Country: Slovakia

Question

Answer

monitoring
Number of votes for this answer: 0

Pest

Cynipid gall wasp Cynips quercusfolii

Cynips quercusfolii

Cynipid gall wasp Cynips quercusfolii

Cynips quercusfolii

hmyz

Received: 5.8.2025
Wood: Dub
Number: 6662
Date of occurrence: 5.8.2025
Discussion

Add comment: Cynipid gall wasp Cynips quercusfolii

Gall midge Dryomyia circinans
Hrčiarka Dryomyia circinansHrčiarka Dryomyia circinans
Gall midge Dryomyia circinans
Number: 6661
Received 5.8.2025
In progress: 0 days
Date of occurrence: 5.8.2025
Significance: Less harmful
Discussion
From: milan
Assigned: M. Zúbrik
Country: Slovakia

Question

Answer

monitoring
Number of votes for this answer: 0

Pest

Gall midge Dryomyia circinans

Dryomyia circinans

Gall midge Dryomyia circinans

Dryomyia circinans

hmyz

Received: 5.8.2025
Wood: Dub
Number: 6661
Date of occurrence: 5.8.2025
Discussion

Add comment: Gall midge Dryomyia circinans

European pear rust
European pear rust
Number: 6659
Received 5.8.2025
In progress: 0 days
Date of occurrence: 5.8.2025
Significance: Harmful
Discussion
From: milan
Assigned: M. Zúbrik
Country: Slovakia

Question

Answer

monitoring
Number of votes for this answer: 0

Pest

European pear rust

Gymnosporangium sabinae

European pear rust

Gymnosporangium sabinae

huby

Received: 5.8.2025
Wood: Hruška
Number: 6659
Date of occurrence: 5.8.2025
Discussion

Add comment: European pear rust

Gall midge Janetia cerris
Gall midge Janetia cerris
Number: 6658
Received 5.8.2025
In progress: 0 days
Date of occurrence: 5.8.2025
Significance: Less harmful
Discussion
From: milan
Assigned: M. Zúbrik
Country: Slovakia

Question

Answer

monitoring
Number of votes for this answer: 0

Pest

Gall midge Janetia cerris

Janetia cerris

Gall midge Janetia cerris

Janetia cerris

hmyz

Received: 5.8.2025
Wood: Dub
Number: 6658
Date of occurrence: 5.8.2025
Discussion

Add comment: Gall midge Janetia cerris

Oak lace bug
Sietnička dubová
Oak lace bug
Number: 6657
Received 5.8.2025
In progress: 0 days
Date of occurrence: 5.8.2025
Significance: Harmful
Discussion
From: milan
Assigned: M. Zúbrik
Country: Slovakia

Question

Answer

monitoring
Number of votes for this answer: 0

Pest

Oak lace bug

Corythucha arcuata

Oak lace bug

Corythucha arcuata

hmyz

Received: 5.8.2025
Wood: Dub
Number: 6657
Date of occurrence: 5.8.2025
Discussion

Add comment: Oak lace bug

Back to top