Login | Registration | List of contributors

« Back

Janetia cerris

Gall midge Janetia cerris

Description

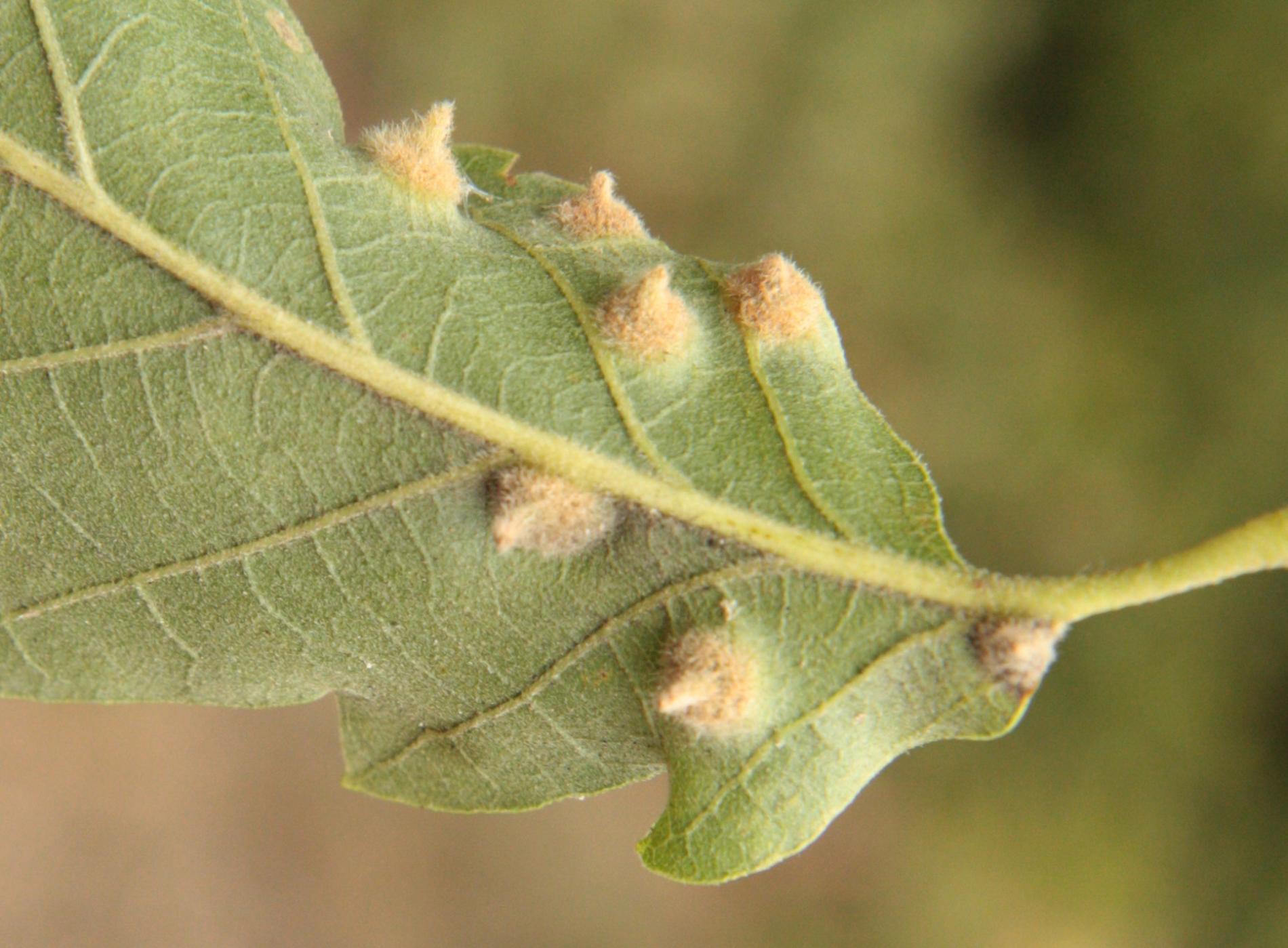
On the upper side of the Turkey oak leaves are formed 2-3 mm high galls, protrudeing to the uppr surface in the form of pale green or yellowish pointed cones 2-3 mm high. They appear on the leaf in clusters of 20-50 ones. Larva develops inside the gall. In autumn, when leaves fall off, larva leaves the gall and it pupates in the soil. It has one generation per year. 

Symptom

On the upper side of the Turkey oak leaves are formed 2-3 mm high galls, protrudeing to the uppr surface in the form of pale green or yellowish pointed cones 2-3 mm high.

Tree Species: Oak

Part of a plant- attacked: Leaf / Needle

Pest significance: Less harmful

Pest Category: Insects

Invasive Species: No

Present in EU: Yes


Add comment: Janetia cerris


Location map: Janetia cerris

print view

Legend:

1

Expert verified points

3

Unverified points

Observed by users on these tree species

 

Most sightings of the species


Last observations

There are a total of 1 observations of the species in the system

milan

Janetia cerrisGall midge Janetia cerris
milan
Number of votes: 0
Published: 5.8.2025


Similar damage

Gall wasp Cynips divisa

Gall wasp Cynips divisa

Gall midge Janetia cerris

Gall midge Janetia cerris

Gall midge Contarinia subulifex

Gall midge Contarinia subulifex

Oak marble gall Andricus kollari

Oak marble gall Andricus kollari

Back to top