Login | Registration | List of contributors

« Back

Dryomyia circinans

Gall midge Dryomyia circinans

Description

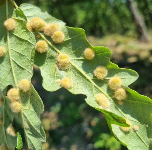
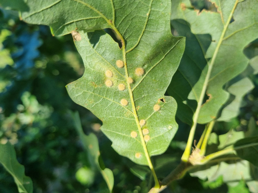
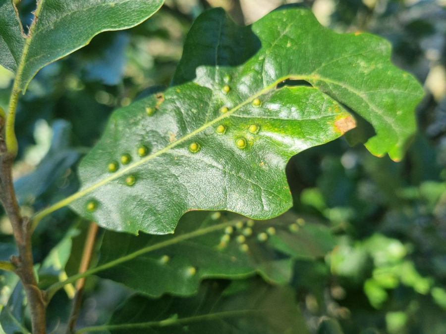
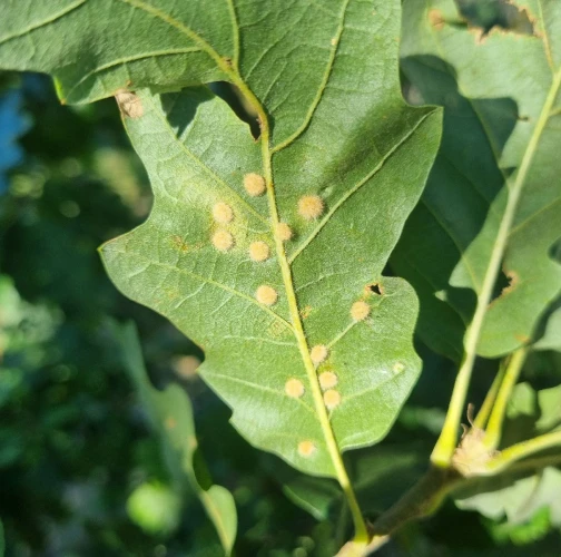
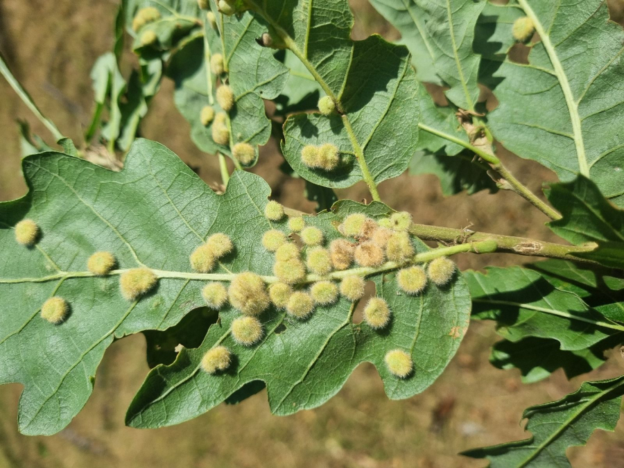
The species creates hairy, galls (5–7 mm in diameter) on the underside of the Quercus cerris leaves. On the top side of the leaf a small pointed bump is visible, occasionally with an opening in the middle. The small fly tends to be very common and over 50 galls can occur on a single leaf. In cases of outbreak, the leaves are weighed down with the galls and twigs may break under their weight. The tiny larva develops and also pupates inside the gall. Adults hatch in spring. The species has one generation per year. It is more common in sunny and warm locations.

Symptom

Hairy galls (5–7 mm in diameter) on the underside of the Quercus cerris leaves.

Tree Species: Oak

Part of a plant- attacked: Leaf / Needle

Pest significance: Less harmful

Pest Category: Insects

Invasive Species: No

Present in EU: Yes


Add comment: Dryomyia circinans


Location map: Dryomyia circinans

print view

Legend:

1

Expert verified points

3

Unverified points

Observed by users on these tree species

 


Last observations

There are a total of 10 observations of the species in the system

milan

Dryomyia circinansGall midge Dryomyia circinans
milan
Number of votes: 0
Published: 5.8.2025

milan

Dryomyia circinansGall midge Dryomyia circinans
milan
Number of votes: 0
Published: 5.8.2025

milan

Dryomyia circinansGall midge Dryomyia circinans
milan
Number of votes: 0
Published: 1.8.2025

milan

Dryomyia circinansGall midge Dryomyia circinans
milan
Number of votes: 0
Published: 17.7.2025

Milan Zubrik

Dryomyia circinansGall wasp Dryomyia circinans
Milan Zubrik
Number of votes: 0
Published: 22.5.2024


Similar damage

Gall wasp Cynips divisa

Gall wasp Cynips divisa

Gall midge Macrodiplosis volvens

Gall midge Macrodiplosis volvens

Gall midge Dryomyia circinans

Gall midge Dryomyia circinans

Gall wasp Aphelonyx cerricola

Gall wasp Aphelonyx cerricola

Back to top