Requests to determine the cause of damage
Here you can request to determine the cause of the damage. You can view the requests of other users and sort them according to the selected criteria. In addition, you can get information about your request, and you can follow the progress of its current state. If your application was not approved, it had probably been because it was impossible to identify the damage based on the sent photos or because the application does not address our topic - determining the pests of trees and shrubs. We will inform you about the status of your application by email.
Rejected requests are not displayed. You have been notified by email that your application has been denied.
Question
Answer
Pest
A - Ambiguously determined, we are not sure
A - Ambiguously determined, we are not sure
Add comment: A - Ambiguously determined, we are not sure
Question
Answer
Pest
A - Ambiguously determined, we are not sure
A - Ambiguously determined, we are not sure
Add comment: A - Ambiguously determined, we are not sure
Question
Answer
Pest
A - Ambiguously determined, we are not sure
A - Ambiguously determined, we are not sure
Add comment: A - Ambiguously determined, we are not sure
Question
Answer
Pest
Fan-bearing wood-borer
Ptilinus pectinicornis

Add comment: Fan-bearing wood-borer
Question
Answer
Pest
Beech splendour beetle
Agrilus viridis

Add comment: Beech splendour beetle
Question
Answer
Pest
A - nejednoznačne určený, nie sme si istí

Add comment:
Question
Answer
Pest
Pappelrost
Melampsora laricis-populina
Add comment: Pappelrost
Question
Answer
Pest
Hymenochaete rubiginosa
Hymenochaete rubiginosa
Add comment: Hymenochaete rubiginosa
Question
Answer
Pest
Phellinus chrysoloma
Phellinus chrysoloma
Add comment: Phellinus chrysoloma
Question
Answer
Pest
A - This species is not in the database yet
A - This species is not in the database yet
Add comment: A - This species is not in the database yet
Question
Answer
Pest
A - Ambiguously determined, we are not sure
A - Ambiguously determined, we are not sure
Add comment: A - Ambiguously determined, we are not sure
Question
Answer
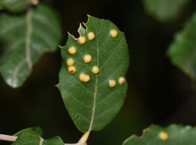
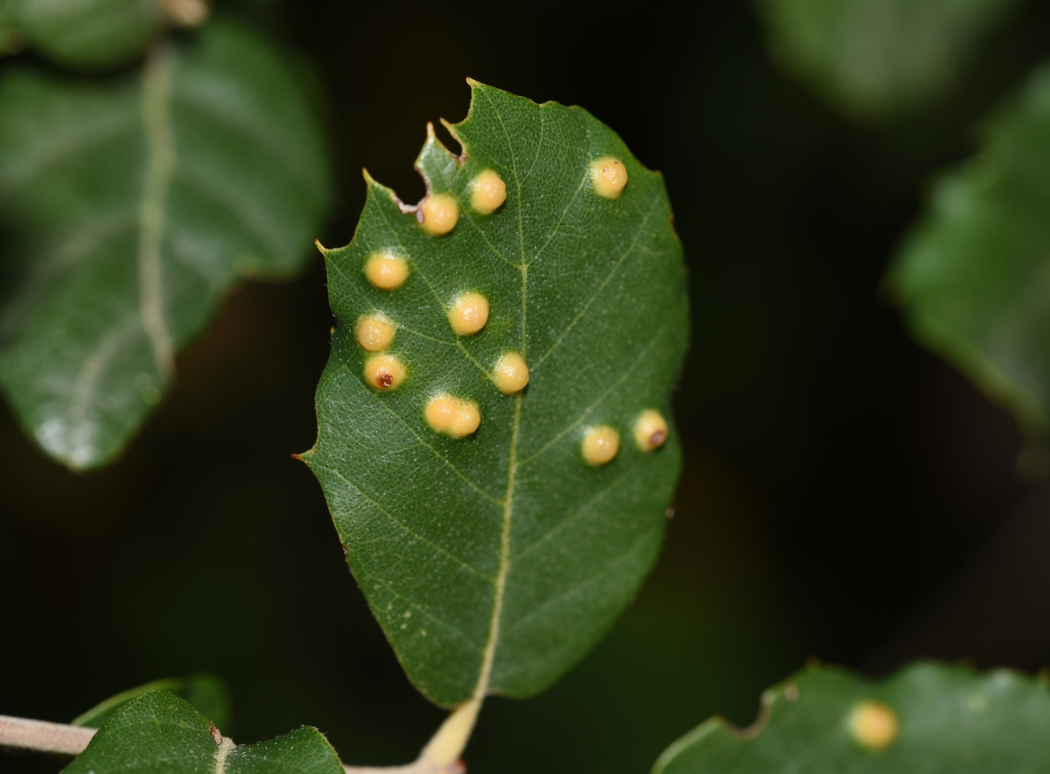
Pest
Gall mite of Holly oak
Aceria ilicis

























