Login | Registration | List of contributors

« Back

Aceria ilicis

Gall mite of Holly oak

Description

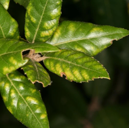
This mite forms brown coatings on the underside of the holly oak Quercus ilex leaves. Coatings can be merged into a large patch. Inside coating (erineum) live small mites that are not visible to the naked eye. At the upper side of the leaves, the damage is seen as a slight swelling and discoloration of the leaf.

Symptom

Brown coatings on the underside of the holly oak Quercus ilex leaves.

Tree Species: Holly, Oak

Part of a plant- attacked: Leaf / Needle

Pest significance: Less harmful

Pest Category: Mites

Invasive Species: No

Present in EU: Yes


Add comment: Aceria ilicis


Location map: Aceria ilicis

print view

Legend:

1

Expert verified points

3

Unverified points

Observed by users on these tree species

 

Most sightings of the species


Last observations

There are a total of 3 observations of the species in the system

Pasquale

Aceria ilicisGall mite of Holly oak
Pasquale
Number of votes: 0
Published: 22.11.2024

Pasquale

Aceria ilicisGall mite of Holly oak
Pasquale
Number of votes: 0
Published: 22.11.2024

Sara

Aceria ilicisGall mite of Holly oak
Sara
Number of votes: 0
Published: 1.7.2024


Similar damage

Mite Aceria nervisequa faginea

Mite Aceria nervisequa faginea

Gall mite Aceria tristriata

Gall mite Aceria tristriata

Gall mite Aculus tetanothrix

Gall mite Aculus tetanothrix

Gall mite Aceria macrochela

Gall mite Aceria macrochela

Back to top