Login | Registration | List of contributors

Requests to determine the cause of damage

Here you can request to determine the cause of the damage. You can view the requests of other users and sort them according to the selected criteria. In addition, you can get information about your request, and you can follow the progress of its current state. If your application was not approved, it had probably been because it was impossible to identify the damage based on the sent photos or because the application does not address our topic - determining the pests of trees and shrubs. We will inform you about the status of your application by email.

Filter reset

Code
Date
Assigned
Status
Days from submission
7470
26.2.2026
A. Kunca
Completed
0
7469
26.2.2026
M. Zúbrik
Completed
0
7456
20.2.2026
A. Kunca
Completed
4
7455
19.2.2026
M. Zúbrik
Completed
1
7449
17.2.2026
M. Zúbrik
Completed
1
7448
17.2.2026
V. Longauerová
Completed
1
7416
2.2.2026
M. Zúbrik
Completed
0
7415
2.2.2026
A. Kunca
Completed
1
7409
27.1.2026
R. Leontovyč
Completed
7
7407
27.1.2026
A. Kunca
Completed
7

Rejected requests are not displayed. You have been notified by email that your application has been denied.

 

Leafminer Phyllocnistis xenia
Leafminer Phyllocnistis xenia
Number: 6523
Received 17.7.2025
In progress: 0 days
Date of occurrence: 17.7.2025
Significance: Less harmful
Discussion
From: milan
Assigned: M. Zúbrik
Country: Slovakia

Question

Answer

Number of votes for this answer: 0

Pest

Leafminer Phyllocnistis xenia

Phyllocnistis xenia

Leafminer Phyllocnistis xenia

Phyllocnistis xenia

hmyz

Received: 17.7.2025
Wood: Poplar
Number: 6523
Date of occurrence: 17.7.2025
Discussion

Add comment: Leafminer Phyllocnistis xenia

Aphid Colopha compressa
Aphid Colopha compressa
Number: 6522
Received 17.7.2025
In progress: 0 days
Date of occurrence: 17.7.2025
Significance: Less harmful
Discussion
From: milan
Assigned: M. Zúbrik
Country: Slovakia

Question

Answer

Monitoring
Number of votes for this answer: 0

Pest

Aphid Colopha compressa

Colopha compressa

Aphid Colopha compressa

Colopha compressa

hmyz

Received: 17.7.2025
Wood: Elm
Number: 6522
Date of occurrence: 17.7.2025
Discussion

Add comment: Aphid Colopha compressa

Citrus flatid planthopper
Citrus flatid planthopper
Number: 6521
Received 17.7.2025
In progress: 0 days
Date of occurrence: 17.7.2025
Significance: Less harmful
Discussion
From: milan
Assigned: M. Zúbrik
Country: Slovakia

Question

Answer

  Monitoring. 
Number of votes for this answer: 0

Pest

Citrus flatid planthopper

Metcalfa pruinosa

Citrus flatid planthopper

Metcalfa pruinosa

hmyz

Received: 17.7.2025
Wood: Poplar
Number: 6521
Date of occurrence: 17.7.2025
Discussion

Add comment: Citrus flatid planthopper

Black cherry aphid
Black cherry aphid
Number: 6520
Received 17.7.2025
In progress: 0 days
Date of occurrence: 17.7.2025
Significance: Harmful
Discussion
From: milan
Assigned: M. Zúbrik
Country: Slovakia

Question

Answer

Monitoring.
Number of votes for this answer: 0

Pest

Black cherry aphid

Myzus cerasi

Black cherry aphid

Myzus cerasi

hmyz

Received: 17.7.2025
Wood: Cherry
Number: 6520
Date of occurrence: 17.7.2025
Discussion

Add comment: Black cherry aphid

European rosette willow gall midge
European rosette willow gall midge
Number: 6519
Received 17.7.2025
In progress: 0 days
Date of occurrence: 17.7.2025
Significance: Less harmful
Discussion
From: milan
Assigned: M. Zúbrik
Country: Slovakia

Question

Answer

Monitoring.
Number of votes for this answer: 0

Pest

European rosette willow gall midge

Rabdophaga rosaria

European rosette willow gall midge

Rabdophaga rosaria

hmyz

Received: 17.7.2025
Wood: Willow
Number: 6519
Date of occurrence: 17.7.2025
Discussion

Add comment: European rosette willow gall midge

Leaf spot pathogen
Leaf spot pathogen
Number: 6518
Received 17.7.2025
In progress: 11 days
Date of occurrence: 17.7.2025
Significance: Less harmful
Discussion
From: milan
Assigned: M. Zúbrik
Country: Slovakia

Question

Answer

Number of votes for this answer: 0

Pest

Leaf spot pathogen

Marssonina betulae

Leaf spot pathogen

Marssonina betulae

huby

Received: 17.7.2025
Wood: Poplar
Number: 6518
Date of occurrence: 17.7.2025
Discussion

Add comment: Leaf spot pathogen

Sawfly Pontania proxima
Sawfly Pontania proxima
Number: 6517
Received 17.7.2025
In progress: 5 days
Date of occurrence: 17.7.2025
Significance: Less harmful
Discussion
From: milan
Assigned: M. Zúbrik
Country: Slovakia

Question

Answer

monitoring
Number of votes for this answer: 0

Pest

Sawfly Pontania proxima

Pontania proxima

Sawfly Pontania proxima

Pontania proxima

hmyz

Received: 17.7.2025
Wood: Willow
Number: 6517
Date of occurrence: 17.7.2025
Discussion

Add comment: Sawfly Pontania proxima

Citrus flatid planthopper
Citrus flatid planthopper
Number: 6516
Received 17.7.2025
In progress: 0 days
Date of occurrence: 17.7.2025
Significance: Less harmful
Discussion
From: milan
Assigned: M. Zúbrik
Country: Slovakia

Question

Answer

monitoring
Number of votes for this answer: 0

Pest

Citrus flatid planthopper

Metcalfa pruinosa

Citrus flatid planthopper

Metcalfa pruinosa

hmyz

Received: 17.7.2025
Wood: Grape
Number: 6516
Date of occurrence: 17.7.2025
Discussion

Add comment: Citrus flatid planthopper

Citrus flatid planthopper
Citrus flatid planthopper
Number: 6514
Received 17.7.2025
In progress: 5 days
Date of occurrence: 17.7.2025
Significance: Less harmful
Discussion
From: milan
Assigned: M. Zúbrik
Country: Slovakia

Question

Answer

monitoring
Number of votes for this answer: 0

Pest

Citrus flatid planthopper

Metcalfa pruinosa

Citrus flatid planthopper

Metcalfa pruinosa

hmyz

Received: 17.7.2025
Wood: Dub
Number: 6514
Date of occurrence: 17.7.2025
Discussion

Add comment: Citrus flatid planthopper

European pear rust
European pear rust
Number: 6511
Received 17.7.2025
In progress: 5 days
Date of occurrence: 17.7.2025
Significance: Harmful
Discussion
From: milan
Assigned: M. Zúbrik
Country: Slovakia

Question

Answer

monitoring
Number of votes for this answer: 0

Pest

European pear rust

Gymnosporangium sabinae

European pear rust

Gymnosporangium sabinae

huby

Received: 17.7.2025
Wood: Hruška
Number: 6511
Date of occurrence: 17.7.2025
Discussion

Add comment: European pear rust

Black locust gall midge
Black locust gall midge
Number: 6510
Received 17.7.2025
In progress: 5 days
Date of occurrence: 17.7.2025
Significance: Less harmful
Discussion
From: milan
Assigned: M. Zúbrik
Country: Slovakia

Question

Answer

monitoring
Number of votes for this answer: 0

Pest

Black locust gall midge

Obolodiplosis robiniae

Black locust gall midge

Obolodiplosis robiniae

hmyz

Received: 17.7.2025
Wood: Agát
Number: 6510
Date of occurrence: 17.7.2025
Discussion

Add comment: Black locust gall midge

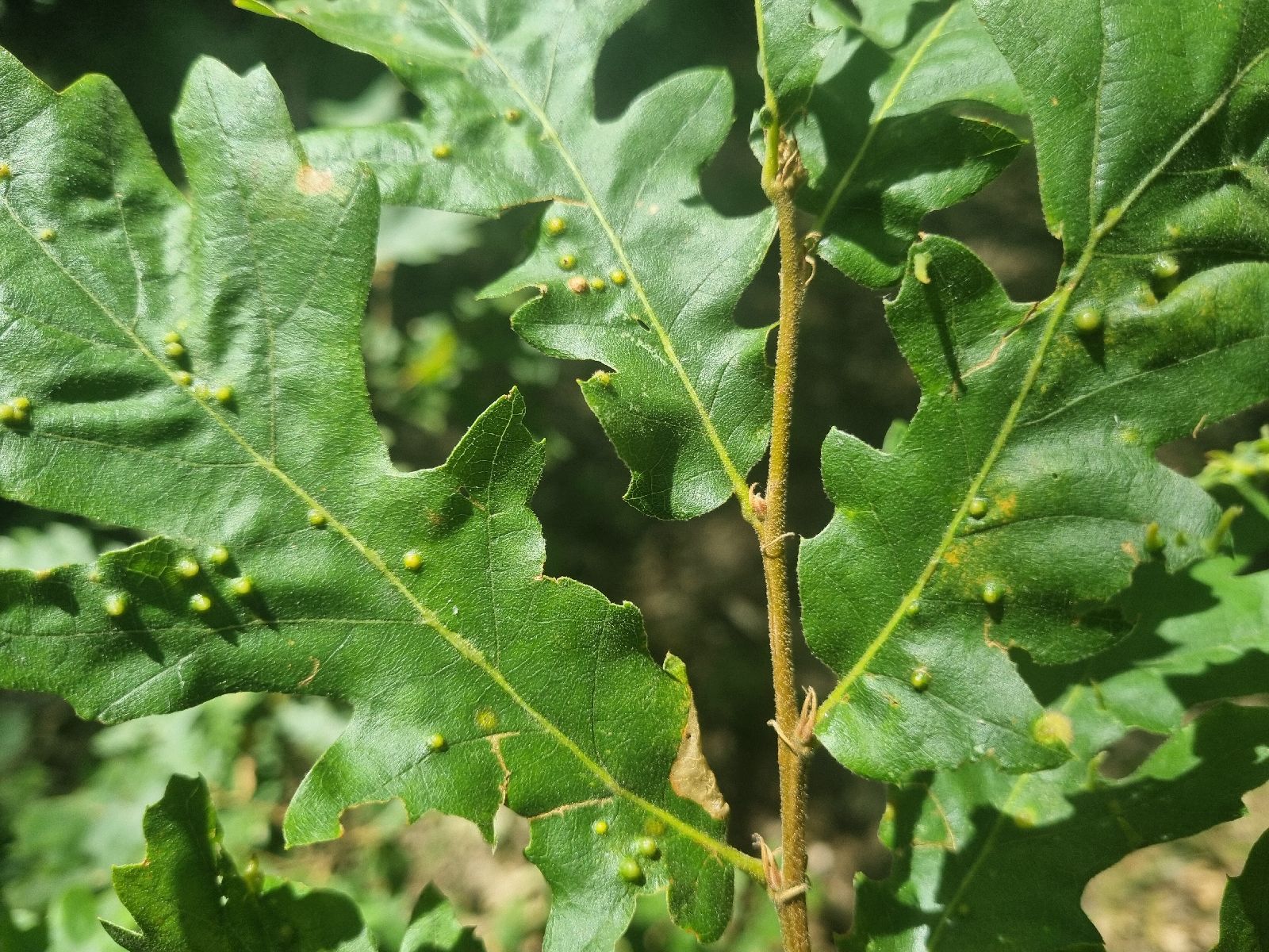
Gall midge Dryomyia circinans
Hrčiarka Dryomyia circinansHrčiarka Dryomyia circinansHrčiarka Dryomyia circinans
Gall midge Dryomyia circinans
Number: 6509
Received 17.7.2025
In progress: 5 days
Date of occurrence: 17.7.2025
Significance: Less harmful
Discussion
From: milan
Assigned: M. Zúbrik
Country: Slovakia

Question

Answer

monitoring
Number of votes for this answer: 0

Pest

Gall midge Dryomyia circinans

Dryomyia circinans

Gall midge Dryomyia circinans

Dryomyia circinans

hmyz

Received: 17.7.2025
Wood: Dub
Number: 6509
Date of occurrence: 17.7.2025
Discussion

Add comment: Gall midge Dryomyia circinans

Back to top