Obolodiplosis robiniae
Black locust gall midge
Description
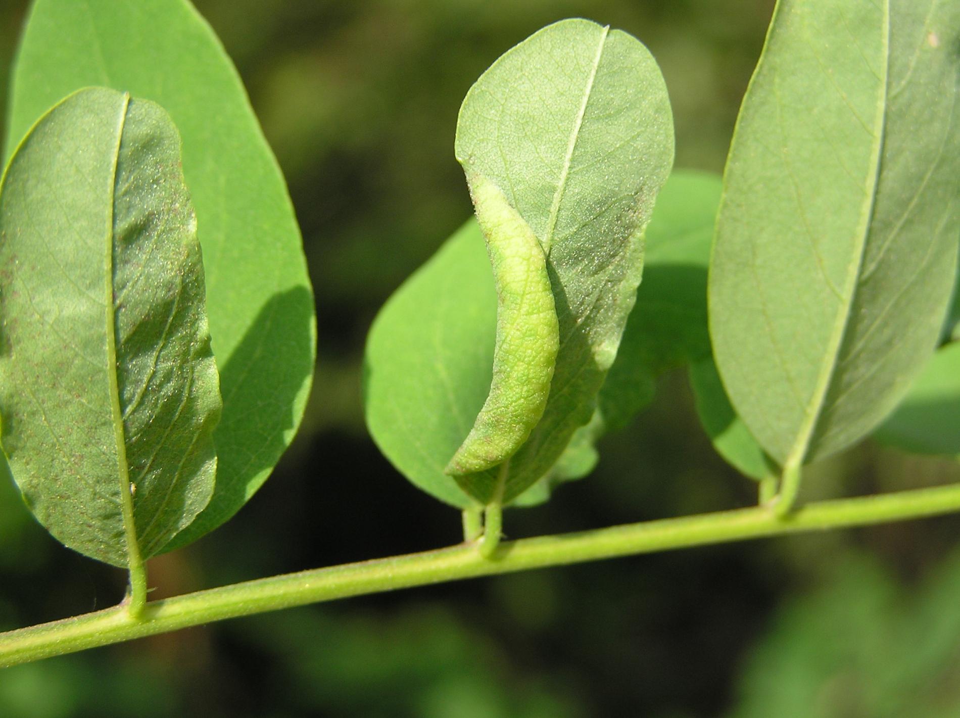
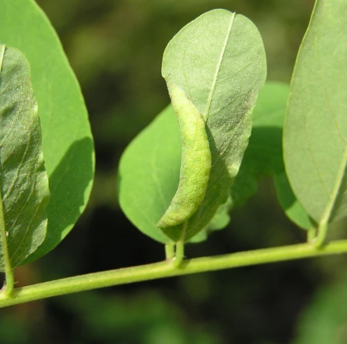
The gall midge O. robiniae, same as its host, is native to North America and was introduced from North America to Europe. First reported in Europe in 2003 in the Veneto region in Italy. It then spread to Central Europe - South Tyrol, Slovenia, Czech Republic, Hungary, Slovakia, Serbia, Germany and Montenegro. On leaves are formed sacs created by the lateral bending and rolling of the leaf. Inside the sacks live larvae. They pupate in the same place. There are three or four generations pere season. Pupation takes place in the gall, except for the larvae of the last generation, that leave the mine and hibernate in the soil. The species is increasing its population density recently.
Symptom
There are sacs formed on the leaves, created by the lateral bending and rolling of the leaf. Inside the sacks live pest larvae.
Tree Species: Black Locust
Part of a plant- attacked: Leaf / Needle
Pest significance: Less harmful
Pest Category: Insects
Invasive Species: Yes
Present in EU: Yes
Add comment: Obolodiplosis robiniae
Location map: Obolodiplosis robiniae
print viewLegend:

Expert verified points

Unverified points
Observed by users on these tree species
Most sightings of the species
Last observations
There are a total of 2 observations of the species in the system


