Login | Registration | List of contributors

Requests to determine the cause of damage

Here you can request to determine the cause of the damage. You can view the requests of other users and sort them according to the selected criteria. In addition, you can get information about your request, and you can follow the progress of its current state. If your application was not approved, it had probably been because it was impossible to identify the damage based on the sent photos or because the application does not address our topic - determining the pests of trees and shrubs. We will inform you about the status of your application by email.

Filter reset

Code
Date
Assigned
Status
Days from submission
7470
26.2.2026
A. Kunca
Completed
0
7469
26.2.2026
M. Zúbrik
Completed
0
7456
20.2.2026
A. Kunca
Completed
4
7455
19.2.2026
M. Zúbrik
Completed
1
7449
17.2.2026
M. Zúbrik
Completed
1
7448
17.2.2026
V. Longauerová
Completed
1
7442
10.2.2026
J. Galko
In progress
17
7415
2.2.2026
A. Kunca
Completed
1
7409
27.1.2026
R. Leontovyč
Completed
7
7407
27.1.2026
A. Kunca
Completed
7

Rejected requests are not displayed. You have been notified by email that your application has been denied.

 

Red banded polypore
Red banded polypore
Number: 1581
Received 4.8.2021
In progress: 11 days
Date of occurrence: 4.8.2021
Significance: Harmful
Discussion
From: ak73
Assigned: A. Kunca
Country: Slovakia

Question

plodnice

Answer

Drevokazná huba, nie patogénna, spôsobuje červenú hnilobu smrekového dreva.   AK
Number of votes for this answer: 0

Pest

Red banded polypore

Fomitopsis pinicola

Red banded polypore

Fomitopsis pinicola

huby

Received: 4.8.2021
Wood: Smrek
Number: 1581
Date of occurrence: 4.8.2021
Discussion

Add comment: Red banded polypore

Annosum root rot
Koreňovka vrstevnatá
Annosum root rot
Number: 1580
Received 4.8.2021
In progress: 11 days
Date of occurrence: 4.8.2021
Significance: Very harmful
Discussion
From: ak73
Assigned: A. Kunca
Country: Slovakia

Question

plodnice na. pni.

Answer

Pravdepodobne Heterobasidion annosum.
Number of votes for this answer: 0

Pest

Annosum root rot

Heterobasidion annosum

Annosum root rot

Heterobasidion annosum

huby

Received: 4.8.2021
Wood: Smrek
Number: 1580
Date of occurrence: 4.8.2021
Discussion

Add comment: Annosum root rot

Oak lace bug
Sietnička dubováSietnička dubováSietnička dubová
Oak lace bug
Number: 1577
Received 30.7.2021
In progress: 3 days
Date of occurrence: 30.7.2021
Significance: Harmful
Discussion
From: zahradkar
Assigned: M. Zúbrik
Country: Slovakia

Question

?

Answer

Je to nepôvodná invázna bzdocha sietnička Corythucha arcuata. Pekný deň MZ
Number of votes for this answer: 0

Pest

Oak lace bug

Corythucha arcuata

Oak lace bug

Corythucha arcuata

hmyz

Received: 30.7.2021
Wood: Dub
Number: 1577
Date of occurrence: 30.7.2021
Discussion

Add comment: Oak lace bug

Sawfly Pontania proxima
Hrčiarka Pontania proxima
Sawfly Pontania proxima
Number: 1575
Received 30.7.2021
In progress: 3 days
Date of occurrence: 30.7.2021
Significance: Less harmful
Discussion
From: ak73
Assigned: M. Zúbrik
Country: Slovakia

Question

niečo na listoch

Answer

Hálky na listoch tvorí hrčiarka Pontania proxima. Je to blanokrídlovec. Poškodenie spôsobuje jeho pohúsenica. Pekný deň MZ
Number of votes for this answer: 0

Pest

Sawfly Pontania proxima

Pontania proxima

Sawfly Pontania proxima

Pontania proxima

hmyz

Received: 30.7.2021
Wood: Vŕba
Number: 1575
Date of occurrence: 30.7.2021
Discussion

Add comment: Sawfly Pontania proxima

Great capricorn beetle
Fuzáč veľký
Great capricorn beetle
Number: 1574
Received 29.7.2021
In progress: 3 days
Date of occurrence: 29.7.2021
Significance: Harmful
Discussion
From: Lucia
Assigned: S. Rell
Country: Slovakia

Question

Answer

Dobrý deň, jedná sa o fuzáča veľkého - Cerambyx cerdo. Vzácny druh, ktorého larvy sa vyvíjajú niekoľko rokov, najmä v starých duboch.
Number of votes for this answer: 0

Pest

Great capricorn beetle

Cerambyx cerdo

Great capricorn beetle

Cerambyx cerdo

hmyz

Received: 29.7.2021
Wood: Orech
Number: 1574
Date of occurrence: 29.7.2021
Discussion

Add comment: Great capricorn beetle

Leopard moth
Leopard moth
Number: 1559
Received 25.7.2021
In progress: 8 days
Date of occurrence: 25.7.2021
Significance: Harmful
Discussion
From: ak73
Assigned: M. Zúbrik
Country: Slovakia

Question

na dverách do pumpy Slovnaft.

Answer

Je to motýľ drevotoč hruškový Zeuzera pyrina. Pekný deň MZ
Number of votes for this answer: 0

Pest

Leopard moth

Zeuzera pyrina

Leopard moth

Zeuzera pyrina

hmyz

Received: 25.7.2021
Wood: Buk
Number: 1559
Date of occurrence: 25.7.2021
Discussion

Add comment: Leopard moth

Boxwood pyralid
Víjačka krušpánováVíjačka krušpánováVíjačka krušpánová
Boxwood pyralid
Number: 1558
Received 25.7.2021
In progress: 8 days
Date of occurrence: 25.7.2021
Significance: Very harmful
Discussion
From: ak73
Assigned: S. Rell
Country: Slovakia

Question

husenice

Answer

Dobrý deň, jedná sa o vijačku krušpánovú - Cydalima perspectalis. Je to invázny druh, ktorý má niekoľko generácií do roka a dokáže tak značne poškodiť krušpán, ktorý pri premnožení škodcu hynie. Odporúčame krušpány ošetriť prípravkom proti listožravému hmyzu, niekoľko krát do roka.
Number of votes for this answer: 0

Pest

Boxwood pyralid

Cydalima perspectalis

Boxwood pyralid

Cydalima perspectalis

hmyz

Received: 25.7.2021
Wood: Krušpán
Number: 1558
Date of occurrence: 25.7.2021
Discussion

Add comment: Boxwood pyralid

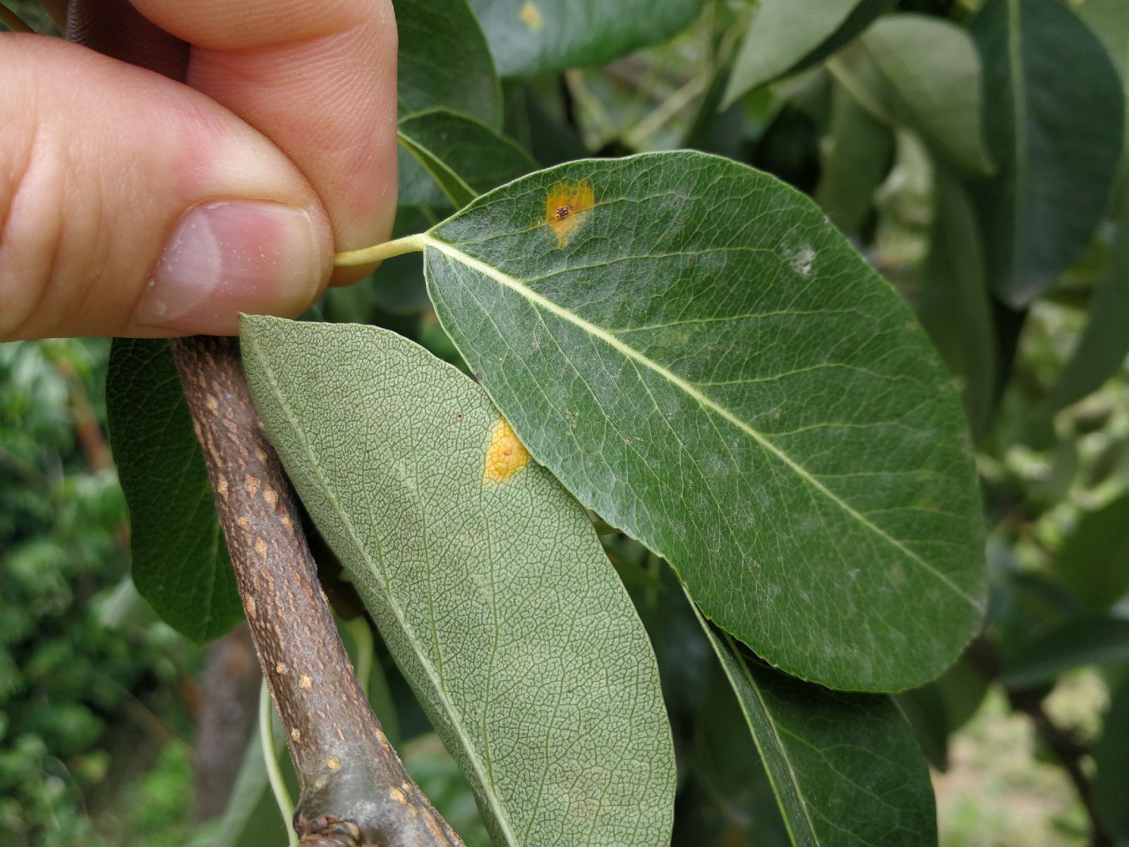
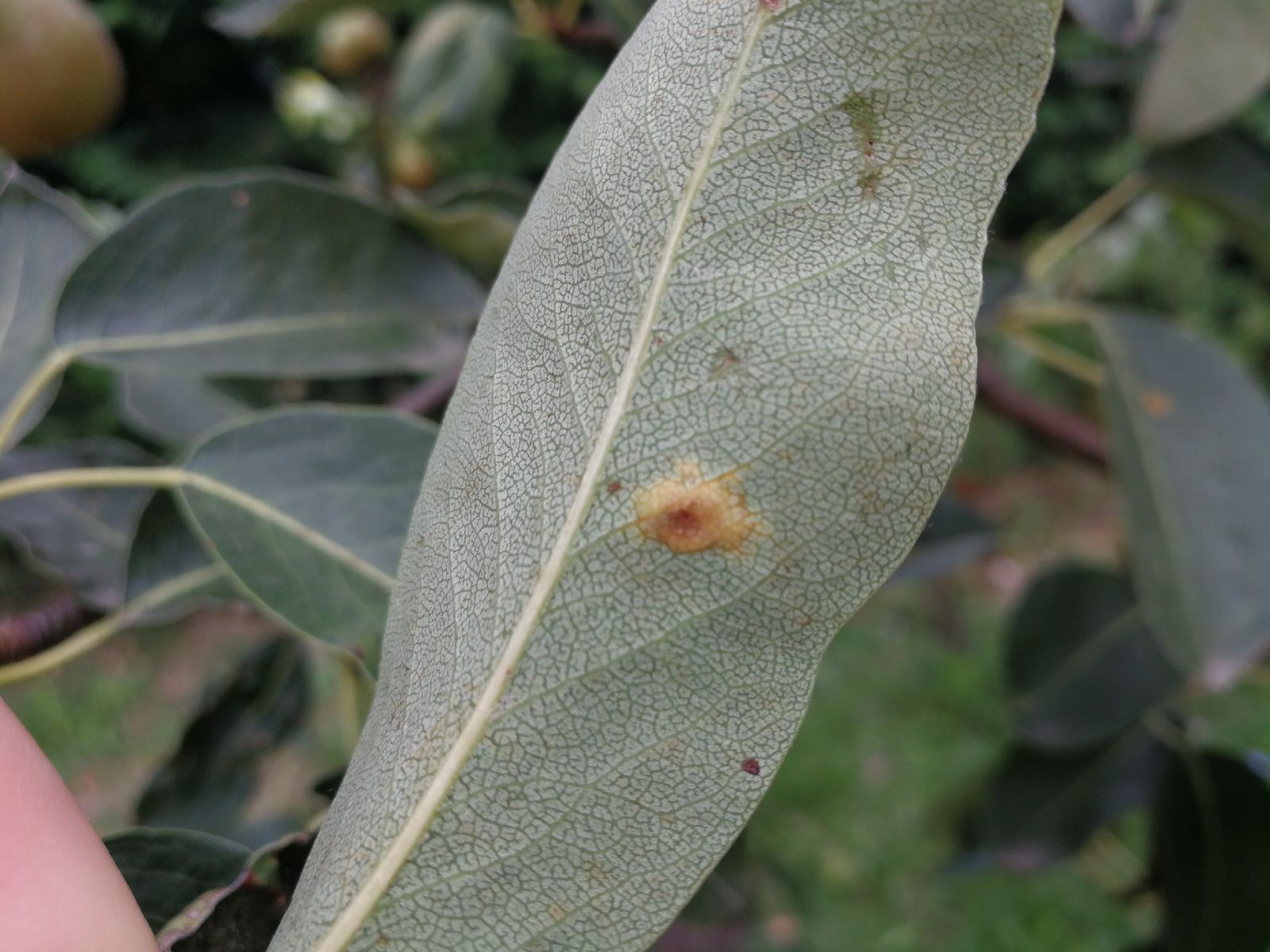
European pear rust
Hrdzavka hruškováHrdzavka hruškováHrdzavka hrušková
European pear rust
Number: 1557
Received 25.7.2021
In progress: 7 days
Date of occurrence: 25.7.2021
Significance: Harmful
Discussion
From: ak73
Assigned: A. Kunca
Country: Slovakia

Question

škvrny na listoch.

Answer

Hrdza hrušková - niekde na blízku by mala byť borievka, ktorá je jej mdzihostiteľom a na kmeni ktorej sa v máji vytváraú oranžové "rohy".   Dík za dotaz.   andrej Kunca
Number of votes for this answer: 0

Pest

European pear rust

Gymnosporangium sabinae

European pear rust

Gymnosporangium sabinae

huby

Received: 25.7.2021
Wood: Hruška
Number: 1557
Date of occurrence: 25.7.2021
Discussion

Add comment: European pear rust

Social pear web-spinner
Ploskanka hruškováPloskanka hruškováPloskanka hrušková
Social pear web-spinner
Number: 1556
Received 25.7.2021
In progress: 8 days
Date of occurrence: 25.7.2021
Significance: Harmful
Discussion
From: ak73
Assigned: M. Zúbrik
Country: Slovakia

Question

Answer

Z uvedeného obrázku nie je možné jednoznačne určiť o aký druh sa jedná. V pradivovom vaku sa nachádza trus, zrejme teda išlo o žer húsenice alebo pahúsenice. Pekný deň MZ
Number of votes for this answer: 0

Pest

Social pear web-spinner

Neurotoma saltuum

Social pear web-spinner

Neurotoma saltuum

hmyz

Received: 25.7.2021
Wood: Hruška
Number: 1556
Date of occurrence: 25.7.2021
Discussion

Add comment: Social pear web-spinner

Oak lace bug
Sietnička dubováSietnička dubováSietnička dubová
Oak lace bug
Number: 1547
Received 21.7.2021
In progress: 1 days
Date of occurrence: 14.7.2021
Significance: Harmful
Discussion
From: Mirka M.
Assigned: M. Zúbrik
Country: Slovakia

Question

Stromy uschýnajú…

Answer

Dobrý deň, jedná sa o malý druh bzdochy, ktorá sa k nám šíri z juhu Európy. Nepatrí medzi naše pôvodné druhy. Jedná sa pôvodne o severo - Americký druh. Viac informácií o nej nájdete tu: https://www.skodcoviadrevin.sk/corythucha-arcuata Spôsobuje farebnú zmenu na listoch stromov, najmä dubov. Aké ďalšie následky má defoliácia sa zatiaľ len zisťuje. Pekný deň MZ.
Number of votes for this answer: 0

Pest

Oak lace bug

Corythucha arcuata

Oak lace bug

Corythucha arcuata

hmyz

Received: 21.7.2021
Wood: Dub
Number: 1547
Date of occurrence: 14.7.2021
Discussion

Add comment: Oak lace bug

Flatheaded pine borer
Flatheaded pine borer
Number: 1545
Received 19.7.2021
In progress: 0 days
Date of occurrence: 19.7.2021
Significance: Less harmful
Discussion
From: Lubo
Assigned: A. Gubka
Country: Slovakia

Question

Ok

Answer

Ďakujeme za peknú fotografiu. Jedná sa o krasoňa borovicového (Chalcophora mariana). https://www.skodcoviadrevin.sk/skodca/krason-borovicovy
Number of votes for this answer: 0

Pest

Flatheaded pine borer

Chalcophora mariana

Flatheaded pine borer

Chalcophora mariana

hmyz

Received: 19.7.2021
Wood: Borovica
Number: 1545
Date of occurrence: 19.7.2021
Discussion

Add comment: Flatheaded pine borer

Sycamore lace bug
Sycamore lace bug
Number: 1542
Received 18.7.2021
In progress: 1 days
Date of occurrence: 18.7.2021
Significance: Harmful
Discussion
From: zahradkar
Assigned: M. Zúbrik
Country: Slovakia

Question

?

Answer

Je to sietnička platanová Corythucha ciliata. Pekný deň. MZ
Number of votes for this answer: 0

Pest

Sycamore lace bug

Corythucha ciliata

Sycamore lace bug

Corythucha ciliata

hmyz

Received: 18.7.2021
Wood: Platan
Number: 1542
Date of occurrence: 18.7.2021
Discussion

Add comment: Sycamore lace bug

Back to top