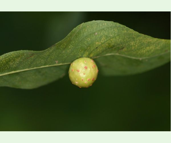
Willow berry sawfly
Pontania viminalis
Owner: majo
Published: 8.10.2024
Tree species: Vŕba
Owner of this picture is majo. You are allowed to download this picture for free in available resolution (1900 x actual high px) and you can use it for educational purposes. This only is valid, if you credit it as for example "Photo: majo, Forestpests.eu", or similar.
For commercial use of this photo resp. for any using of this photo in a higher resolution, please contact the user "majo" and agree on the terms of cooperation.
Contact majo
Number of votes: 0














