Login | Registration | List of contributors

« Back

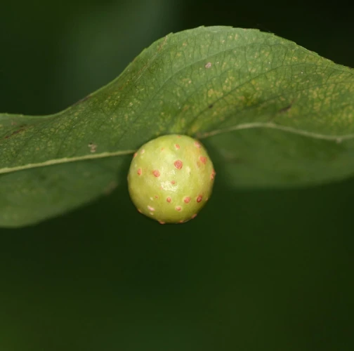
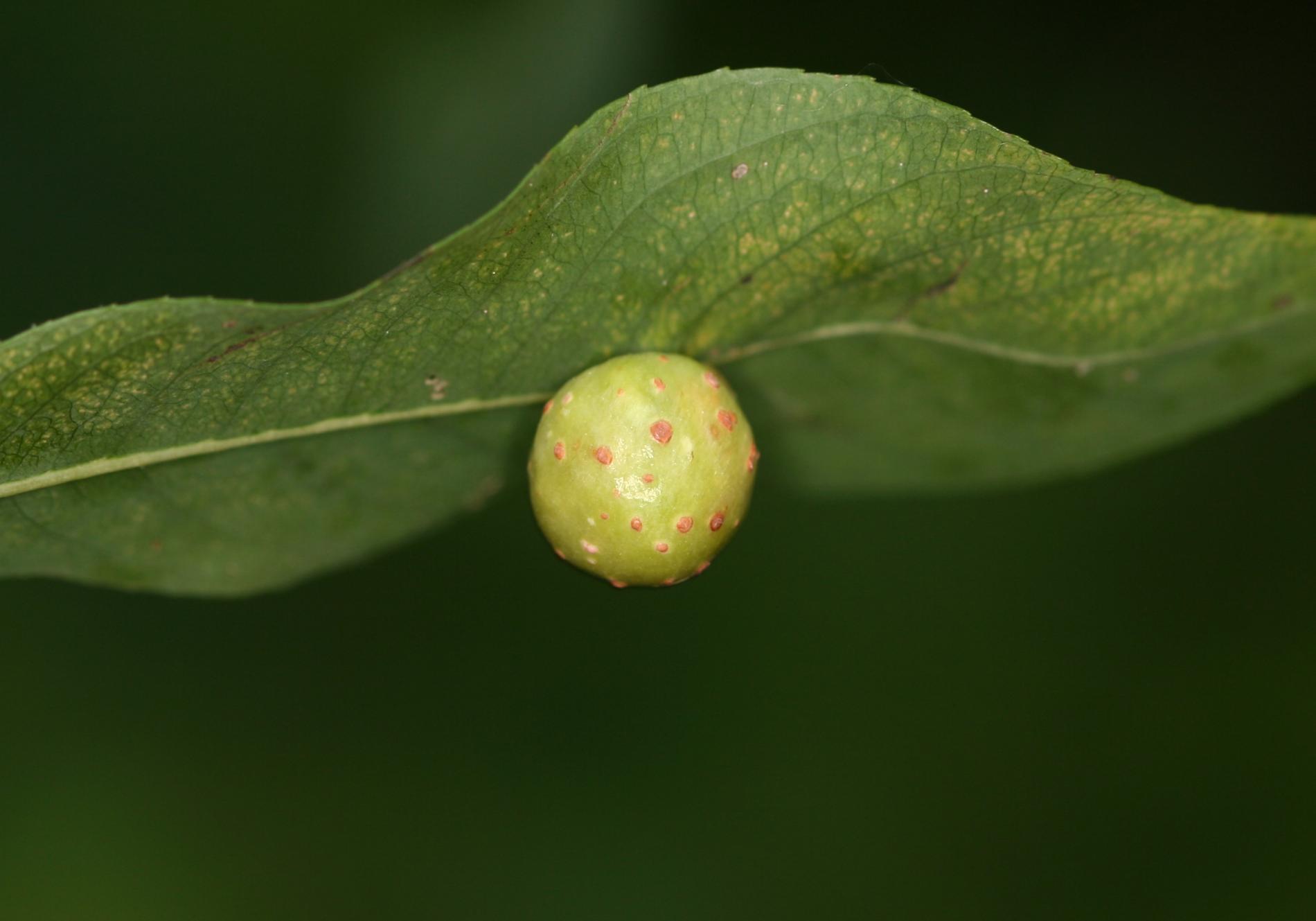
Pontania viminalis

Willow berry sawfly

Description

It causes a round gall with a diameter of 5 – 12 mm that occurs on the lower side of leaf. Colouring goes from yellow through green up to red. It is most commonly placed on the lower central vein. Development of the gall lasts for about 15 days. Inside lives single larva that leaves the gall through a round exit hole and pupates in litterfall.

Symptom

Round gall with a diameter of 5 – 12 mm that occurs on the lower side of leaf.

Tree Species: Willow

Part of a plant- attacked: Leaf / Needle

Pest Category: Insects

Invasive Species: No

Present in EU: Yes


Add comment: Pontania viminalis


Location map: Pontania viminalis

print view

Legend:

1

Expert verified points

3

Unverified points

Observed by users on these tree species

 

Most sightings of the species


Last observations

There are a total of 1 observations of the species in the system

Marián Slamka

Pontania viminalisWillow berry sawfly
Marián Slamka
Number of votes: 0
Published: 8.10.2024

majo

Pontania viminalisWillow berry sawfly
majo
Number of votes: 0
Published: 8.10.2024


Similar damage

Oak slug sawfly

Oak slug sawfly

Early birch leaf edgeminer

Early birch leaf edgeminer

Crown rust

Crown rust

Gall wasp Andricus albipes

Gall wasp Andricus albipes

Back to top