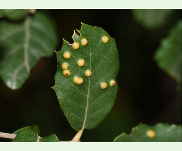
Gall mite of Holly oak
Aceria ilicis
Owner: Sara
Published: 1.7.2024
Tree species: Oak
Owner of this picture is Sara. You are allowed to download this picture for free in available resolution (1900 x actual high px) and you can use it for educational purposes. This only is valid, if you credit it as for example "Photo: Sara, Forestpests.eu", or similar.
For commercial use of this photo resp. for any using of this photo in a higher resolution, please contact the user "Sara" and agree on the terms of cooperation.
Contact Sara
Number of votes: 0



















