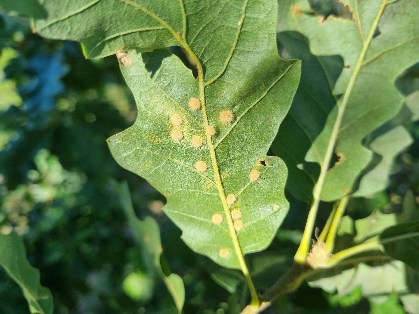
Gall midge Dryomyia circinans
Dryomyia circinans
Owner: milan
Published: 5.8.2025
Tree species: Dub
Owner of this picture is milan. You are allowed to download this picture for free in available resolution (1900 x actual high px) and you can use it for educational purposes. This only is valid, if you credit it as for example "Photo: milan, Forestpests.eu", or similar.
For commercial use of this photo resp. for any using of this photo in a higher resolution, please contact the user "milan" and agree on the terms of cooperation.
Contact milan
Number of votes: 0

























