Login | Registration | List of contributors
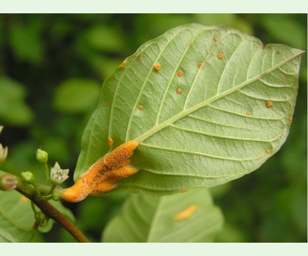
Puccinia coronata

« Back

Crown rust

Puccinia coronata

Owner: Karol Ox

Published: 18.1.2023

Tree species: -

Owner of this picture is Karol Ox. You are allowed to download this picture for free in available resolution (1900 x actual high px) and you can use it for educational purposes. This only is valid, if you credit it as for example "Photo: Karol Ox, Forestpests.eu", or similar.
For commercial use of this photo resp. for any using of this photo in a higher resolution, please contact the user " Karol Ox" and agree on the terms of cooperation.

Contact Karol Ox

Number of votes: 0

Selected pictures of this species

Puccinia coronata Puccinia coronata Puccinia coronata Puccinia coronata Puccinia coronata Puccinia coronata Puccinia coronata Puccinia coronata Puccinia coronata Puccinia coronata Puccinia coronata Puccinia coronata Puccinia coronata

All pictures of this species

Back to top