Login | Registration | List of contributors

« Back

Puccinia coronata

Crown rust

Description

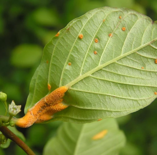
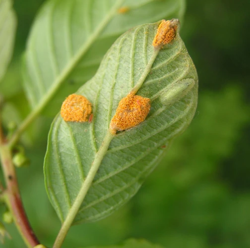
Species of the Rhamnus genus (common and glossy buckthorn) are the hosts of the aeciums - deposits of spring spores. They are formed on leaves and sprouts in spring. Aeciospores infect grasses (circa 45 genera of grasses), on which the following stages of the rust develop - uredinia (deposits of summer spores). The rust overwinters in the stage of telium (deposits of winter spores) on grass, in spring the teliospores germinate, form basidiums and finally basidiospores infecting young glossy buckthorn or common buckhorn leaves are formed. Later on are formed also aeciums.

Symptom

Orange swollen deposits on leaves and young shoots.

Tree Species: Alder Buckthorn

Part of a plant- attacked: Leaf / Needle, Branch

Pest significance: Harmful

Pest Category: Fungi

Invasive Species: No

Present in EU: Yes


Add comment: Puccinia coronata


Location map: Puccinia coronata

print view

Legend:

1

Expert verified points

3

Unverified points

Observed by users on these tree species

 

Most sightings of the species


Last observations

There are a total of 2 observations of the species in the system

 Karol Ox

Puccinia coronata Crown rust
Karol Ox
Number of votes: 0
Published: 18.1.2023

 Karol Ox

Puccinia coronata Crown rust
Karol Ox
Number of votes: 0
Published: 18.1.2023


Similar damage

European pear rust

European pear rust

Alder rust

Alder rust

Melampsora salicina

Melampsora salicina

Fir fireweed rust

Fir fireweed rust

Back to top