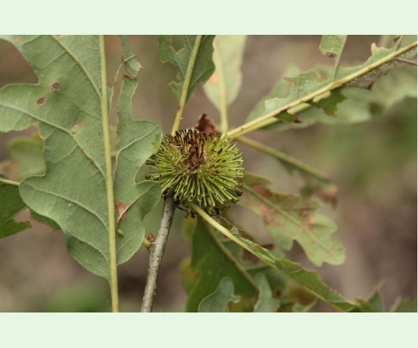
Gall wasp Andricus lucidus
Andricus lucidus
Owner: Marián Slamka
Published: 6.4.2025
Tree species: Dub
Owner of this picture is Marián Slamka. You are allowed to download this picture for free in available resolution (1900 x actual high px) and you can use it for educational purposes. This only is valid, if you credit it as for example "Photo: Marián Slamka, Forestpests.eu", or similar.
For commercial use of this photo resp. for any using of this photo in a higher resolution, please contact the user "Marián Slamka" and agree on the terms of cooperation.
Contact Marián Slamka
Number of votes: 0



























