Login | Registration | List of contributors
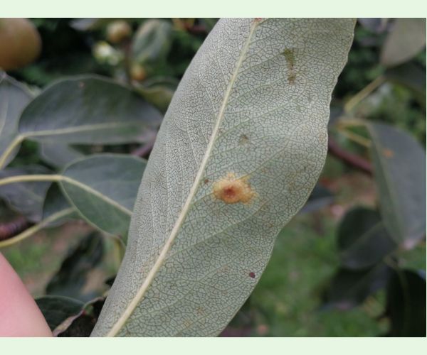
Gymnosporangium sabinae

« Back

European pear rust

Gymnosporangium sabinae

Owner: ak73

Published: 11.7.2022

Tree species: Borievka

Owner of this picture is ak73. You are allowed to download this picture for free in available resolution (1900 x actual high px) and you can use it for educational purposes. This only is valid, if you credit it as for example "Photo: ak73, Forestpests.eu", or similar.
For commercial use of this photo resp. for any using of this photo in a higher resolution, please contact the user "ak73" and agree on the terms of cooperation.

Contact ak73

Number of votes: 0

Selected pictures of this species

Gymnosporangium sabinae Gymnosporangium sabinae Gymnosporangium sabinae Gymnosporangium sabinae Gymnosporangium sabinae Gymnosporangium sabinae Gymnosporangium sabinae Gymnosporangium sabinae Gymnosporangium sabinae Gymnosporangium sabinae Gymnosporangium sabinae Gymnosporangium sabinae Gymnosporangium sabinae Gymnosporangium sabinae Gymnosporangium sabinae Gymnosporangium sabinae Gymnosporangium sabinae Gymnosporangium sabinae Gymnosporangium sabinae Gymnosporangium sabinae Gymnosporangium sabinae Gymnosporangium sabinae Gymnosporangium sabinae Gymnosporangium sabinae

All pictures of this species

Back to top