Viteus (Dactylosphaera) vitifoliae
Grape phylloxera
Description
The grape phylloxera (Viteus vitifoliae or Dactylosphaera vitifolii) is a significant and dangerous pest of vineyards, originating from North America and introduced to many regions worldwide, including Europe, Africa, Southern America, and Asia. I caused destruction of vineards in many parts of the world.
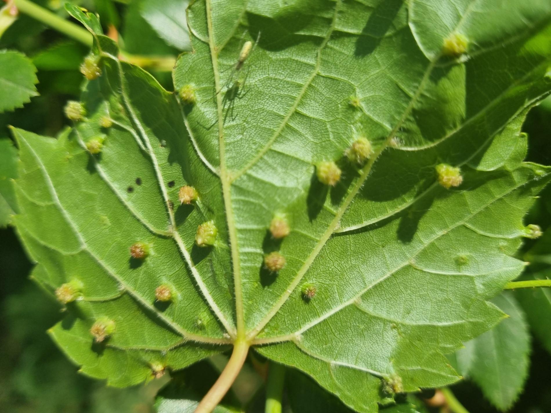
This species forms galls on leaves by laying eggs on the surface of young leaves, resulting in typical gall formations. Additionally, it also induces gall formation on roots. These formations lead to vine decay over several years. Control measures include destroying infested vineyards, cultivating resistant vine varieties, growing healtly plans, and doing regular treatments. Grape phylloxera causes damage in both larval and adult stages. Despite control efforts, it remains a significant threat to grapevine cultivation, particularly in regions where susceptible varieties are grown.
Symptom
Small bumps – galls - or irregular growths on the surface of young leaves, caused by the feeding activity of the phylloxera larvae. Gall-like formations on the roots, resulting from the feeding of the phylloxera nymphs, which can lead to root decay and eventual vine death. Overall weakening and decline in the vigor of the grapevine, manifested by stunted growth, reduced yield, and eventual vine death in severe cases.
Tree Species: Grape
Part of a plant- attacked: Leaf / Needle
Pest significance: Very harmful
Pest Category: Insects
Invasive Species: Yes
Present in EU: Yes
Add comment: Viteus (Dactylosphaera) vitifoliae
Location map: Viteus (Dactylosphaera) vitifoliae
print viewLegend:

Expert verified points

Unverified points
Observed by users on these tree species
Most sightings of the species
Last observations
There are a total of 1 observations of the species in the system


