Login | Registration | List of contributors

« Back

Vasates quadripedes

Maple bladder-gall mite

Description

This species is not native to Europe. It comes from North America. It is a miniature mite that has many generations during the year and lives on the leaves and bark of maples. In the spring, females feed on leaves and lay eggs in developing galls, where their offspring live. In the fall, the underside of the galls opens and the mites crawl to the places where they hibernate (bark crevices). The host tree of this species is the silver maple (Acer saccharinum). From the original range of this species, it is known, that it can also live on red maples Acer rubrum and Acer saccharum.

Symptom

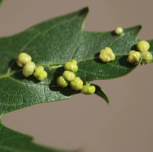
Relatively large galls (2-3 mm) on the upper side of the leaves, that can be numerous. At the beginig they are yellow or yellowish-green, later on they become red, dark red and even black in autumn.

Tree Species: Maple

Part of a plant- attacked: Leaf / Needle

Pest significance: Less harmful

Pest Category: Mites

Invasive Species: No

Present in EU: Yes


Add comment: Vasates quadripedes


Location map: Vasates quadripedes

print view

Legend:

1

Expert verified points

3

Unverified points

Observed by users on these tree species

 

Most sightings of the species


Last observations

There are a total of 2 observations of the species in the system

martin mesiarkin

Vasates quadripedesMaple bladder-gall mite
martin mesiarkin
Number of votes: 0
Published: 25.5.2023


Similar damage

Mite Aceria cerreus

Mite Aceria cerreus

Gall mite Aceria myriadeum

Gall mite Aceria myriadeum

Gall mite Eriophyes nervalis

Gall mite Eriophyes nervalis

Mite Aceria macrorhyncha

Mite Aceria macrorhyncha

Back to top