Login | Registration | List of contributors

« Back

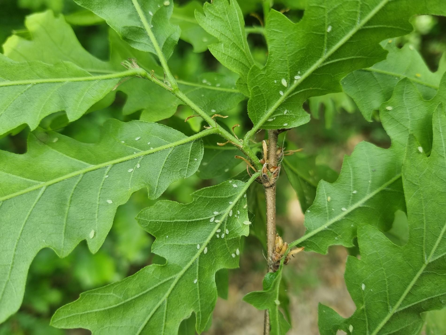
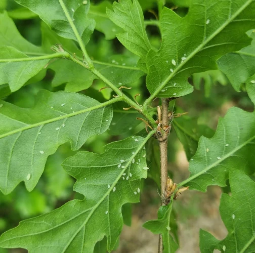
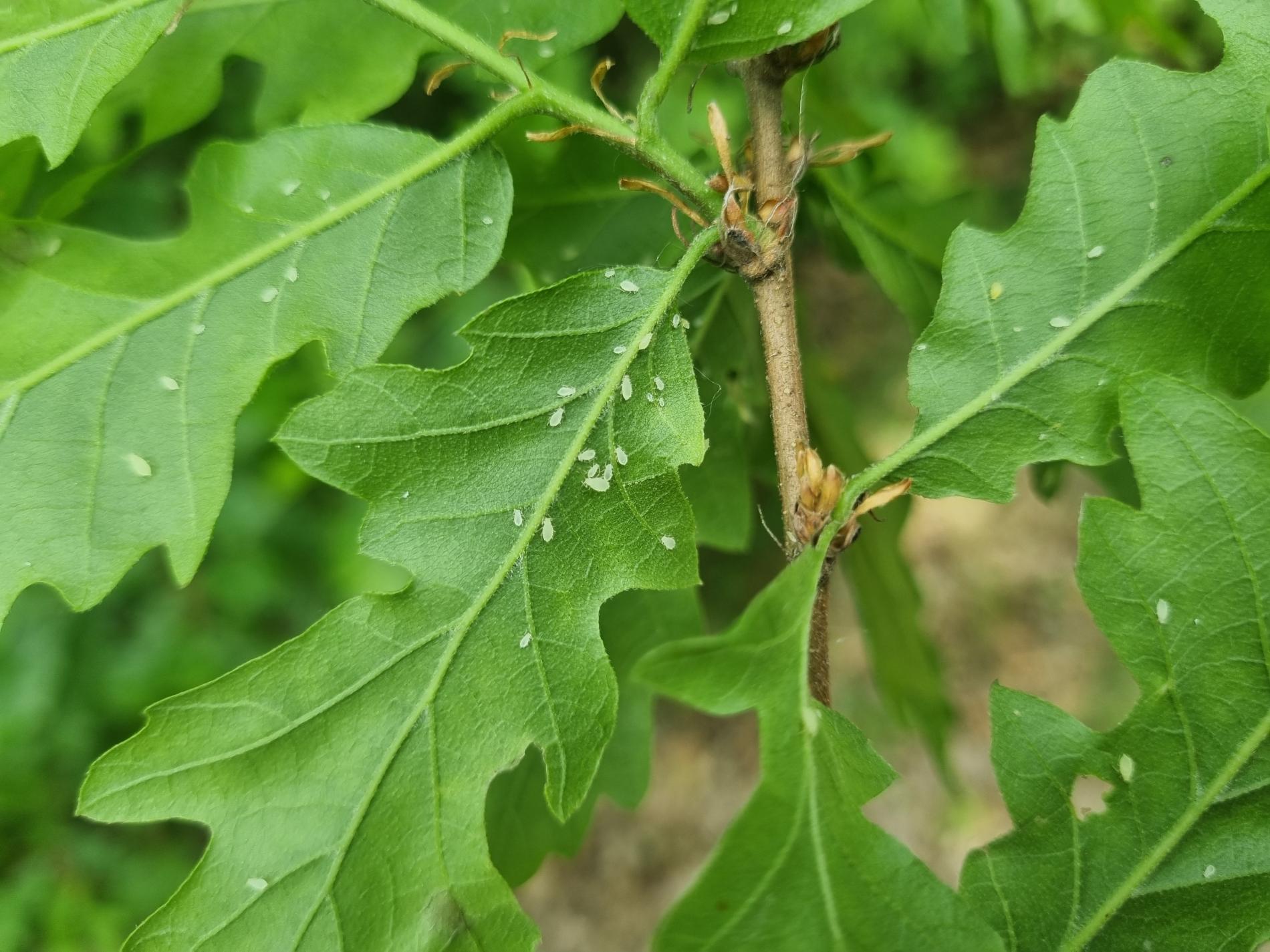
Tuberculatus annulatus

Oak aphid

Description

It is a small yellowish green aphid living in colonies on the lower side of leaves. They occur on a veinlet, less commonly in the interveinal space. It produces honeydew due to which dirt is trapped on leaves and photosynthesis can be decreased.

Symptom

It produces honeydew, which can trap impurities in the leaves and reduce photosynthesis.

Tree Species: Oak

Part of a plant- attacked: Leaf / Needle

Pest significance: Harmful

Pest Category: Insects

Invasive Species: No

Present in EU: Yes


Add comment: Tuberculatus annulatus


Location map: Tuberculatus annulatus

print view

Legend:

1

Expert verified points

3

Unverified points

Observed by users on these tree species

 

Most sightings of the species


Last observations

There are a total of 1 observations of the species in the system

Milan Zúbrik

Tuberculatus annulatusOak aphid
Milan Zúbrik
Number of votes: 0
Published: 14.5.2025


Similar damage

Leaf blotch miner moth

Leaf blotch miner moth

Oak roller Aleimma loeflingiana

Oak roller Aleimma loeflingiana

Oak powdery mildew

Oak powdery mildew

Grey pine aphid

Grey pine aphid

Back to top