Login | Registration | List of contributors

« Back

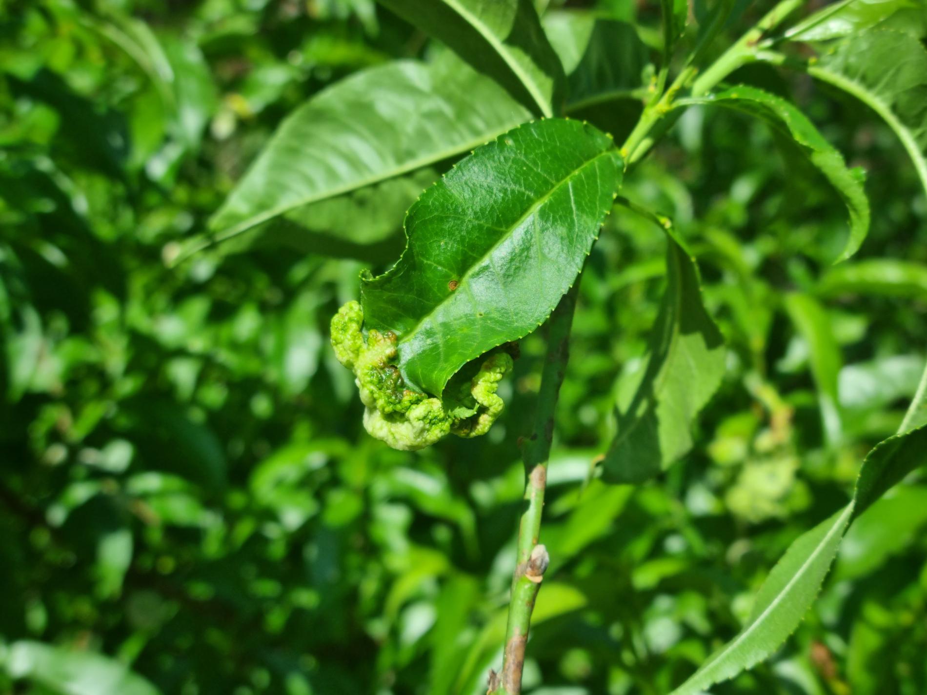
Taphrina deformans

Peach leaf curl

Description

Peach leaf curl, caused by the fungus Taphrina deformans, is one of the most important diseases of peaches. It infects the young leaves, which fall off in the spring months. The loss of a significant part of the leaf area leads to the dropping of young fruit, which can significantly jeopardise the crop in a given growing season. Infection of the trees is encouraged by rainy and cold weather in late winter, at the budding stage and in the period shortly after budburst until peach blossom begins. The disease agent overwinters in the form of swollen spores (blastospores) on the bark of the trees and under the scales of the buds. These spores are activated in spring, spread to new leaves and cause typical symptoms of the disease such as deformation, curling and discolouration of the leaves.

Prevention and control of this disease involves several measures such as the application of appropriate fungicides at critical times, removal of infected leaves and proper pruning of trees to ensure good air circulation. It is also important to monitor weather forecasts and respond to conditions that promote the spread of the disease. Besides peaches, the fungus can also infect other species of the genus Prunus, such as apricots (Prunus armeniaca) and plums (Prunus domestica).

Symptom

Deformation, curling and discolouration of the leaves.

Tree Species: Peach, Apricots, Plum

Part of a plant- attacked: Leaf / Needle, Fruit / Seed

Pest significance: Harmful

Pest Category: Fungi

Invasive Species: No

Present in EU: Yes


Add comment: Taphrina deformans


Location map: Taphrina deformans

print view

Legend:

1

Expert verified points

3

Unverified points

Observed by users on these tree species

 

Most sightings of the species


Last observations

There are a total of 1 observations of the species in the system

Katarzyna

Taphrina deformansPeach leaf curl
Katarzyna
Number of votes: 0
Published: 19.4.2025


Similar damage

Hazel leaf-roller

Hazel leaf-roller

Apple aphid

Apple aphid

Pear leaf blister mite

Pear leaf blister mite

Cherry leaf spot

Cherry leaf spot

Back to top