Rhopalosiphoninus staphyleae
Mangold aphid
Description
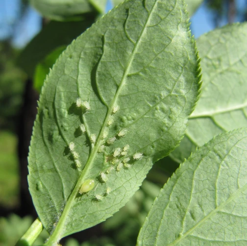
Rhopalosiphoninus staphyleae is an aphid species that primarily infests bladdernuts (Staphylea pinnata and S. colchica), where it forms colonies on young shoots and leaves. The aphids cause leaf curling and yellow mottling due to their feeding activity. During summer, the species migrates to secondary hosts, including various Liliaceae and Iridaceae plants, such as Tulipa, Hemerocallis, and Crocus. Some populations remain on the primary host throughout the year. The aphids are light yellow in early development but darken to olive green or brown with dark dorsal markings later in the season. The species is widely distributed across Europe, North America, and parts of Africa and Asia. Heavy infestations can weaken host trees, affecting their vitality and aesthetic value.
Symptom
Leaves on Staphylea spp. are curled and yellowish due to aphid feeding. Dense colonies with waxy secretions form on shoots.
Tree Species: Bladdernut
Part of a plant- attacked: Leaf / Needle
Pest significance: Less harmful
Pest Category: Insects
Invasive Species: No
Present in EU: Yes
Add comment: Rhopalosiphoninus staphyleae
Location map: Rhopalosiphoninus staphyleae
Legend:

Expert verified points

Unverified points


