Login | Registration | List of contributors

« Back

Rhopalomyzus lonicerae

Honeysuckle-grass aphid

Description

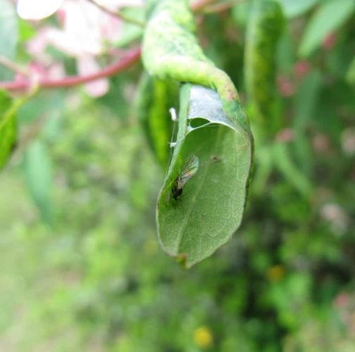
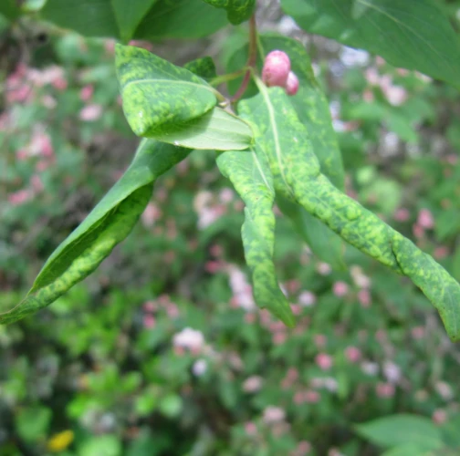
Rhopalomyzus lonicerae, commonly known as the honeysuckle-grass aphid, is a species with a complex life cycle that alternates between honeysuckle (Lonicera spp.) as its primary host and grasses (Poaceae), especially reed canary grass (Phalaris arundinacea), as secondary hosts. The aphid overwinters as eggs on honeysuckle, with hatching occurring in early spring. The fundatrices induce leaf rolling, forming yellow to reddish pseudogalls on the undersides of leaves. The alate offspring migrate to grasses, where they form large colonies of pale cream-colored apterous individuals.

This aphid is distributed throughout Europe, Central Asia, and Siberia. It thrives in both natural and urban environments, often forming dense populations on its hosts. Infestations lead to deformations of honeysuckle leaves, reducing the ornamental value of affected plants. On grasses, the aphids cover the leaves in high numbers, potentially reducing photosynthetic efficiency. While not a primary killer of host plants, repeated infestations can weaken them, making them more susceptible to environmental stress and secondary pathogens.

Symptom

On honeysuckle, leaves are curled downward and discolored. Aphids are present on the underside of the leaves.

Tree Species: Lonicera

Part of a plant- attacked: Leaf / Needle

Pest significance: Harmful

Pest Category: Insects

Invasive Species: No

Present in EU: Yes


Add comment: Rhopalomyzus lonicerae


Location map: Rhopalomyzus lonicerae

Legend:

1

Expert verified points

3

Unverified points

Observed by users on these tree species


Similar damage

Gooseberry aphid

Gooseberry aphid

Barberry aphid

Barberry aphid

Cotton aphid

Cotton aphid

Small willow aphid

Small willow aphid

Back to top