Login | Registration | List of contributors

« Back

Psyllopsis fraxini

Psyllid Psyllopsis fraxini

Description

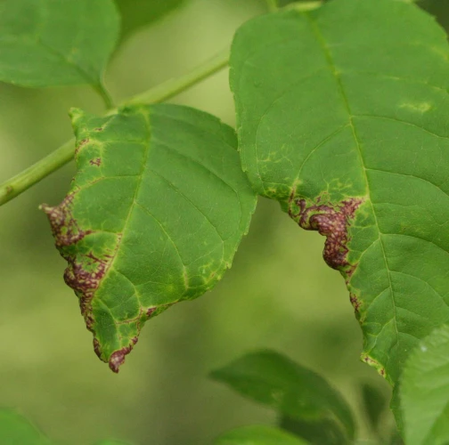
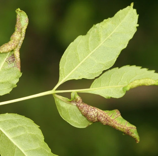
The leaf edges are galled, rolled in spirals downwards, with swellings and a fleshy red discolouring. The pest is a small insect, a few millimitres in size, with two pairs of membranous wings.

Symptom

Deformations at the edges of flesh-colored leaves.

Tree Species: Ash

Part of a plant- attacked: Leaf / Needle

Pest significance: Less harmful

Pest Category: Insects

Invasive Species: No

Present in EU: Yes


Add comment: Psyllopsis fraxini


Location map: Psyllopsis fraxini

print view

Legend:

1

Expert verified points

3

Unverified points

Observed by users on these tree species

 

Most sightings of the species


Last observations

There are a total of 2 observations of the species in the system

milan

Psyllopsis fraxini Psyllid Psyllopsis fraxini
milan
Number of votes: 0
Published: 30.5.2025

Milan Zúbrik

Psyllopsis fraxini Psyllid Psyllopsis fraxini
Milan Zúbrik
Number of votes: 0
Published: 23.5.2025


Similar damage

Poplar leaf-roller

Poplar leaf-roller

Birch leaf-roller

Birch leaf-roller

Brown oak roller Archips xylosteana

Brown oak roller Archips xylosteana

Oak roller weevil

Oak roller weevil

Back to top