Login | Registration | List of contributors

« Back

Pseudoneuroterus macropterus

Oak gall wasp Pseudoneuroterus macropterus

Description

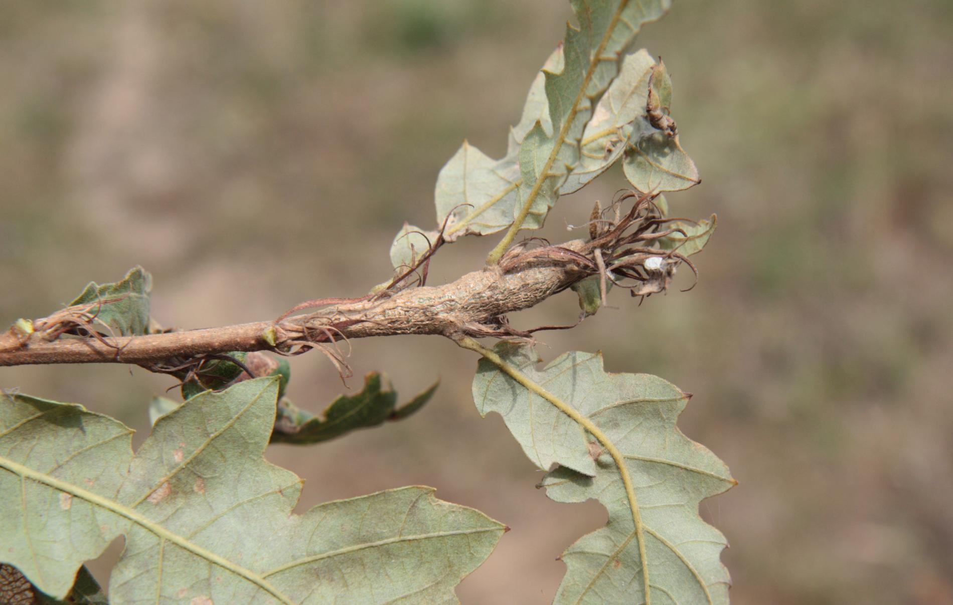
The gall develops at or just behind the tip of 1-2 year old shoots. A multilocular, cigar-shaped swelling, commonly 20-50 mm in length and up to 15 mm in diameter. The gall contains many elliptical chambers oriented as a layer perpendicular to the outer wall. Each larval chamber is up to 2 mm long. The galls are formed in the 2nd part of the summer, adults emerge in August/September or year later after a prolonged diapause. The affected shoot may swell to twice its original thickness as the gall develops, and may cause have withering or stunting of the shoot. Heavy infestation may severely stunts single young trees, but the influence is regularly not significant on stand scale. Oak forests, mainly young stands.

Symptom

A multilocular, cigar-shaped swelling, commonly 20-50 mm in length and up to 15 mm in diameter. The gall contains many elliptical chambers oriented as a layer perpendicular to the outer wall.

Tree Species: Oak

Part of a plant- attacked: Branch

Pest significance: Less harmful

Pest Category: Insects

Present in EU: Yes


Add comment: Pseudoneuroterus macropterus


Location map: Pseudoneuroterus macropterus

print view

Legend:

1

Expert verified points

3

Unverified points

Observed by users on these tree species

 

Most sightings of the species


Last observations

There are a total of 1 observations of the species in the system

Marián Slamka

Pseudoneuroterus macropterusOak gall wasp Pseudoneuroterus macropterus
Marián Slamka
Number of votes: 0
Published: 6.4.2025


Similar damage

Gall wasp Andricus glutinosus

Gall wasp Andricus glutinosus

Oak marble gall Andricus kollari

Oak marble gall Andricus kollari

Gall wasp Aphelonyx cerricola

Gall wasp Aphelonyx cerricola

Knopper gall

Knopper gall

Back to top