Login | Registration | List of contributors

« Back

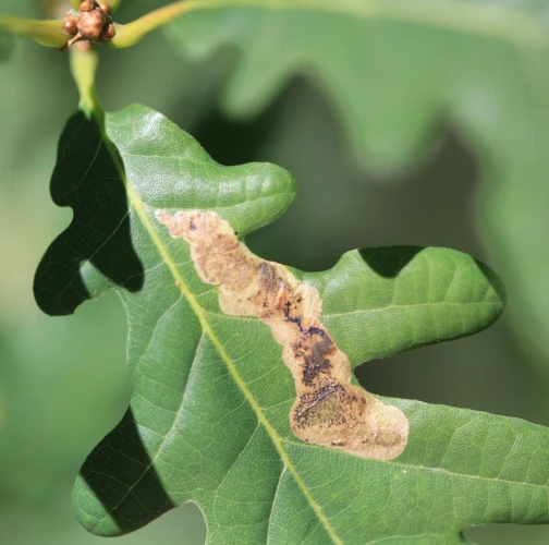
Profenusa pygmaea

Oak mining mawfly

Description

Profenusa pygmaea is a leaf-mining sawfly (Tenthredinidae) on oaks (Quercus spp.), occasionally on sweet chestnut (Castanea sativa). It is univoltine, overwinters in the soil, and pupates outside the mine. Females place eggs singly; each mine contains a single larva. Larvae create a large upper-surface blister mine, often with a narrow initial “neck” but without a true starting corridor; frass occurs as scattered grains that become gradually larger. The larva bears dark markings on the prothorax and dark ventral thoracic spots. Widespread in Europe wherever oaks occur. Intensity of infestation is usually low, but heavy local occurrence reduces ornamental value of foliage.

Symptom

Large, translucent upper-surface blotch with a narrow neck; scattered granular frass; one mine per larva.

Tree Species: Oak, Chestnut

Part of a plant- attacked: Leaf / Needle

Pest significance: Less harmful

Pest Category: Insects

Invasive Species: No

Present in EU: Yes


Add comment: Profenusa pygmaea


Location map: Profenusa pygmaea

Legend:

1

Expert verified points

3

Unverified points

Observed by users on these tree species


Similar damage

September thorn

September thorn

Oak roller Aleimma loeflingiana

Oak roller Aleimma loeflingiana

Leaf blotch miner moth

Leaf blotch miner moth

Frosted green

Frosted green

Back to top