Login | Registration | List of contributors

« Back

Prays oleae

Olive moth

Description

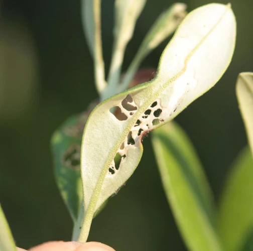
Prays oleae, known as the olive moth, is a small moth with a wingspan of 11–13 mm. The forewings are grey with a silvery tone and scattered dark spots. It is found mainly in the Mediterranean region and occasionally in southern Central Europe, although it cannot survive harsh winter conditions there. The larvae of this species are significant pests, particularly to olive trees (Olea europaea). They initially mine the leaves, creating a short, narrow corridor on the upper surface, and later form an irregular, full-depth blotch elsewhere on the leaf. The larvae pupate within these mines. In the spring, the first generation of larvae damages the leaves, while the second and third generations can also attack flowers and fruits. Each female can lay over 200 eggs after mating, and the species typically has three generations per year.

Symptom

Mine on the leave. Botch mine. Small larvae.

Tree Species: Olive

Part of a plant- attacked: Leaf / Needle, Fruit / Seed

Pest significance: Very harmful

Pest Category: Insects

Invasive Species: No

Present in EU: Yes


Add comment: Prays oleae


Location map: Prays oleae

print view

Legend:

1

Expert verified points

3

Unverified points

Observed by users on these tree species

 

Most sightings of the species


Last observations

There are a total of 1 observations of the species in the system


Similar damage

Small eggar moth

Small eggar moth

Olive fruit curculio

Olive fruit curculio

Tent caterpillar

Tent caterpillar

Spindle ermine

Spindle ermine

Back to top