Pemphigus populinigrae
Poplar-cudweed pouch gall aphid
Description
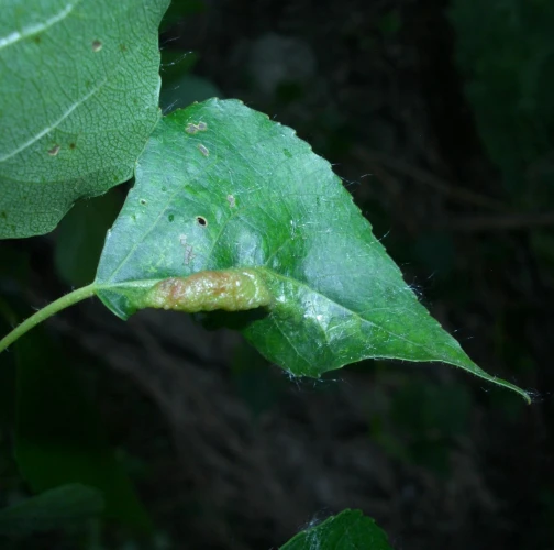
Pemphigus populinigrae, known as the poplar-cudweed pouch gall aphid, is a species that forms characteristic galls on the upper side of poplar leaves, particularly on black poplar (Populus nigra) and white poplar (Populus alba). These galls are broad, pouch-shaped, and typically yellowish or dull reddish in color. They develop along the midrib and have a slit opening on the underside of the leaf. The aphid’s primary host is poplar, where the fundatrix induces gall formation in spring. Later in the season, winged migrants emerge and move to secondary hosts from the genera Filago and Gnaphalium (cudweeds).
This species is widely distributed across Europe and extends into eastern Siberia. While the galls do not usually cause significant harm to poplars, they can affect their aesthetic appearance. The secondary hosts, particularly cudweeds, may experience reduced growth due to aphid feeding. The secretion of honeydew can also promote sooty mold development, further affecting plant vitality.
Symptom
On poplars, pouch-like galls (1–2 cm) appear along the midrib of leaves, colored yellowish to reddish. These galls are rounded and smooth.
Tree Species: Poplar
Part of a plant- attacked: Leaf / Needle
Pest significance: Less harmful
Pest Category: Insects
Invasive Species: No
Present in EU: Yes
Add comment: Pemphigus populinigrae
Location map: Pemphigus populinigrae
Legend:

Expert verified points

Unverified points


