Pemphigus populi
Poplar club-shaped gall aphid
Description
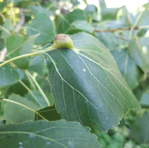
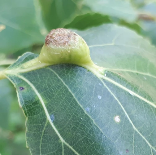
The leaf midrib is swollen and bent on the upper surface. The gall is 10–25 mm long and 5–8 mm thick. A slit-like opening can be found on the underside of the leaf. Only female aphids live in the gall. These emerge in June and migrate to the roots of their alternate hosts, a plant in Asteraceae, where the summer generation develops. The influence is negligible. Poplar forests, plantations, tree nurseries, parks and gardens. The host trees are Populus alba, P. nigra and their hybrids.
Symptom
Globular swelling of the central part of the midrib, to almost the size of a hazelnut. Sometimes red or redisch, often green.
Tree Species: Poplar
Part of a plant- attacked: Leaf / Needle
Pest significance: Less harmful
Pest Category: Insects
Invasive Species: No
Present in EU: Yes
Add comment: Pemphigus populi
Location map: Pemphigus populi
print viewLegend:

Expert verified points

Unverified points
Observed by users on these tree species
Most sightings of the species
Last observations
There are a total of 1 observations of the species in the system


