Login | Registration | List of contributors

« Back

Pemphigus immunis

Poplar gall aphid Pemphigus immunis

Description

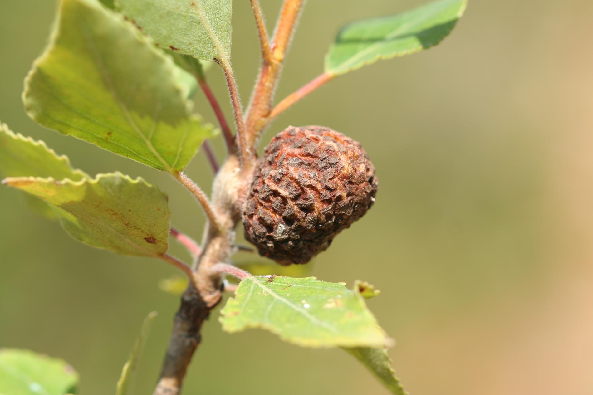
Green, red, later on brown gall is 2–4 cm with an opening on lateral side. Usually a whole colony of aphids, covered by a white cotton-like mass, develops inside the gall. Honeydew produced by aphids attracts to the opening (mainly in July) beetles of family Cetoniidae. Dry gall remains on the twig for several years. It is more abundant in southern regions.

Symptom

Green, red, later on brown gall is 2–4 cm with an opening on lateral side.

Tree Species: Poplar

Part of a plant- attacked: Leaf / Needle

Pest significance: Less harmful

Pest Category: Insects

Invasive Species: No


Add comment: Pemphigus immunis


Location map: Pemphigus immunis

Legend:

1

Expert verified points

3

Unverified points

Observed by users on these tree species


Similar damage

Silk button gall

Silk button gall

Poplar spiral gall aphid

Poplar spiral gall aphid

Poplar club-shaped gall aphid

Poplar club-shaped gall aphid

Gall wasp Andricus lucidus

Gall wasp Andricus lucidus

Back to top