Pediaspis aceris
Gall wasp Pediaspis aceris
Description
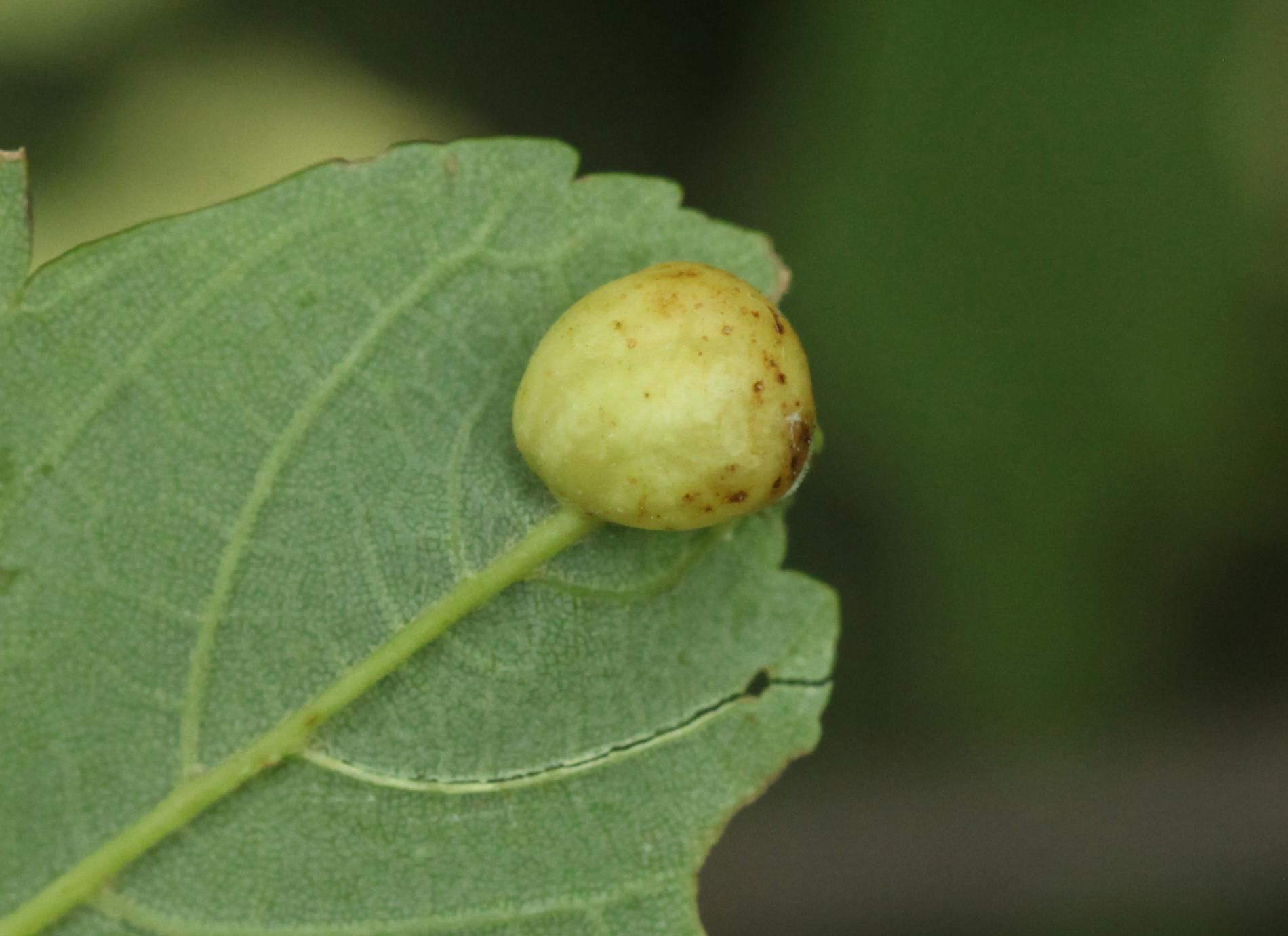
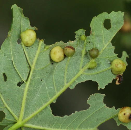
Pediaspis aceris has two alternating generations. During the spring, the bisexual generation of the species induces the formation of spherical galls (measuring 6–10 mm in diameter) on the leaves and flowers of sycamore trees. In cases where the galls become crowded, they may hinder the full development of the leaves. The unisexual generation of the species causes spherical galls (measuring 6–8 mm in diameter) on the fine roots near the soil surface of the same host tree.
Symptom
Galls on the leaves or on the roots of maples.
Tree Species: Maple
Part of a plant- attacked: Leaf / Needle
Pest significance: Less harmful
Pest Category: Insects
Invasive Species: No
Present in EU: Yes
Add comment: Pediaspis aceris
Location map: Pediaspis aceris
Legend:

Expert verified points

Unverified points


