Login | Registration | List of contributors

« Back

Parthenolecanium rufulum

Soft scale

Description

The soft scale has one generation per year and overwinters as the 2nd instar nymph. Moulting to adult female occurs from mid April onwards. The female lays eggs in April and May. First instar feed on the under surface of the leaves. In September, nymphs migrate from the leaves to the twigs to overwinter. There are no males in the population. Reproduction is parthenogenetic. This species is widely distributed in European countries.

Symptom

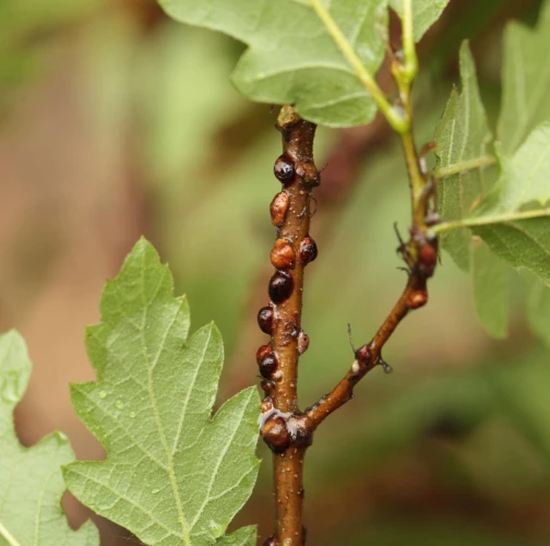
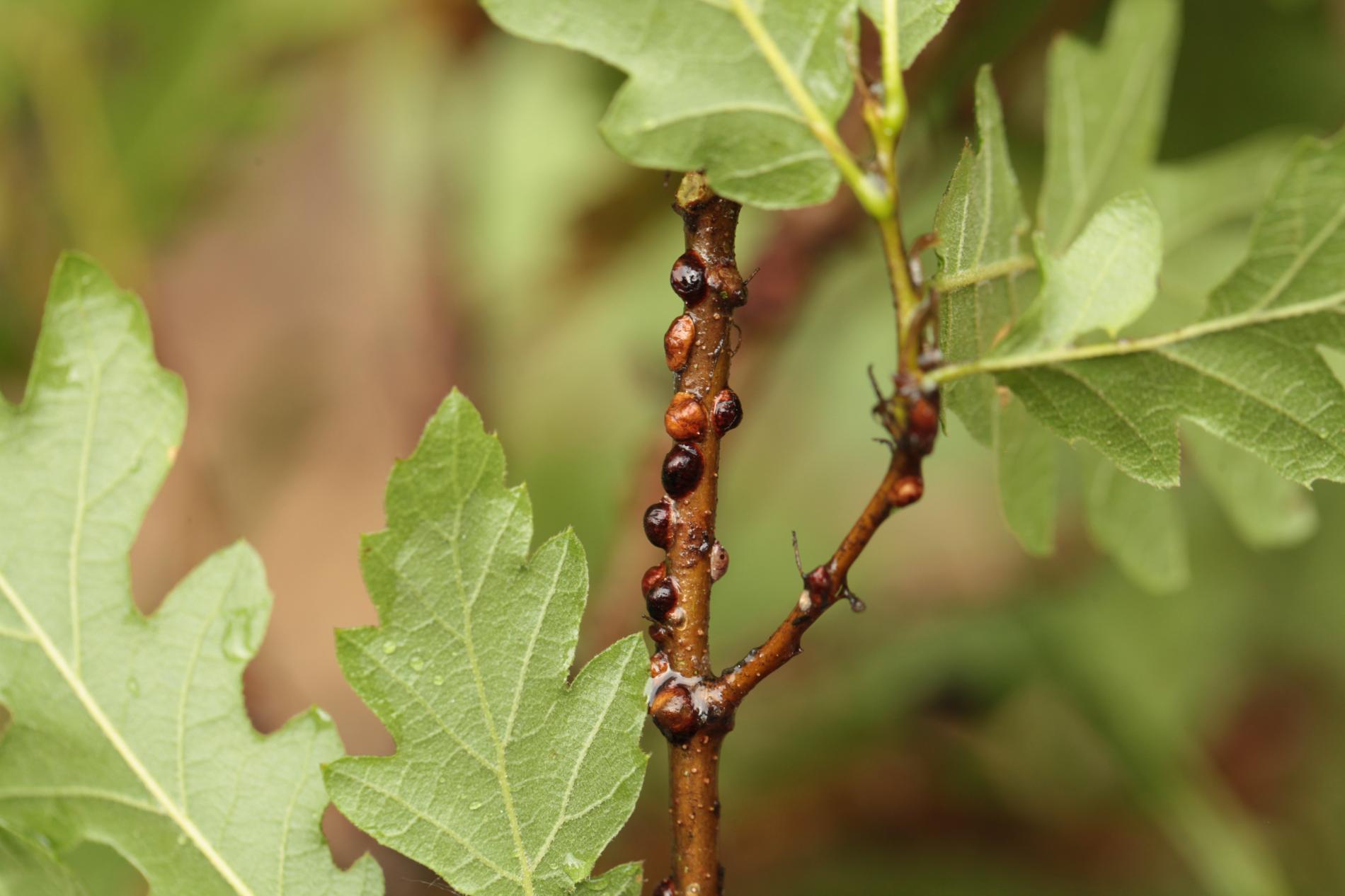
Brown, round, about 3 - 4 mm large formations on the shoots.

Tree Species: Black Locust, Elm, Beech, Oak, Chestnut, Hornbeam, Hazel, Rose

Part of a plant- attacked: Branch

Pest significance: Less harmful

Pest Category: Insects

Invasive Species: No

Present in EU: Yes


Add comment: Parthenolecanium rufulum


Location map: Parthenolecanium rufulum

print view

Legend:

1

Expert verified points

3

Unverified points

Observed by users on these tree species

 

Most sightings of the species


Last observations

There are a total of 2 observations of the species in the system

Milan Zubrik

Parthenolecanium rufulum Soft scale
Milan Zubrik
Number of votes: 0
Published: 22.5.2024

Martina Petrikova

Parthenolecanium rufulum Soft scale
Martina Petrikova
Number of votes: 0
Published: 21.5.2018

Martina Petrikova

Parthenolecanium rufulum Soft scale
Martina Petrikova
Number of votes: 0
Published: 21.5.2018

Martina Petrikova

Parthenolecanium rufulum Soft scale
Martina Petrikova
Number of votes: 0
Published: 21.5.2018


Similar damage

Oak marble gall Andricus kollari

Oak marble gall Andricus kollari

Oak apple gall wasp

Oak apple gall wasp

Knopper gall

Knopper gall

Gall wasp Andricus crispator

Gall wasp Andricus crispator

Back to top