Neuroterus quercusbaccarum
Common spangle gall
Description
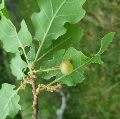
The species has two alternating generations. The spring sexual generation develops in commonly gregarious, unilocular, globular, berry-like galls (4-8 mm in diameter) on catkins, and can also develop on the leaf lamina. The adults emerge from the galls in June. The autumn generation develops in spangle gall (4-6 mm in diameter, 2 mm thick) on the underside of leaves, rarely on the upper side. This gall is more abundant on trees showing late budburst. The asexual spangle galls fall in August, September, adults emerging the following spring.
Symptom
The spring sexual generation develops in commonly gregarious, unilocular, globular, berry-like galls (4-8 mm in diameter) on catkins, and can also develop on the leaf lamina. The autumn generation develops in spangle gall (4-6 mm in diameter, 2 mm thick) on the underside of leaves, rarely on the upper side.
Tree Species: Oak
Part of a plant- attacked: Leaf / Needle
Pest significance: Less harmful
Pest Category: Insects
Invasive Species: No
Present in EU: Yes
Add comment: Neuroterus quercusbaccarum
Location map: Neuroterus quercusbaccarum
print viewLegend:

Expert verified points

Unverified points
Observed by users on these tree species
Most sightings of the species
Last observations
There are a total of 25 observations of the species in the system



