Melolontha melolontha
Common cockchafer
Description
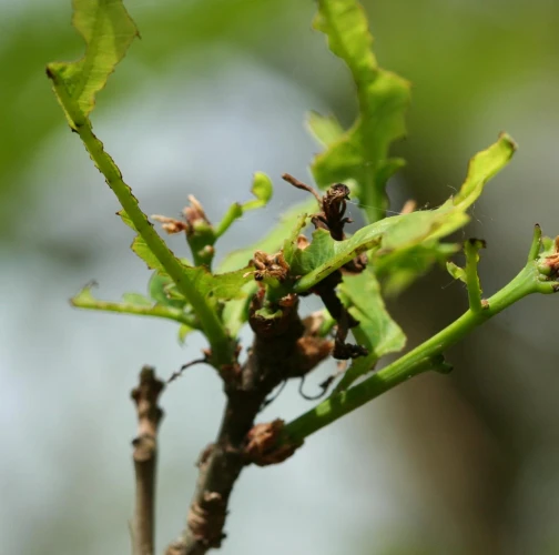
This is a beetle about 20-30 mm long. The ventral side of the abdomen is black and white. The adults swarm towards the end of April and in early May. They fly onto broadleaved stand edges. Adults perform maturation feeding on leaves. They are active especially at twilight. During the day, they rest motionlessly on the leaves or twigs. Their feeding is usually concentrated on the stand edges and treetops. During outbreak they can cause defoliation. After mating, the females lay eggs into the soil. From the eggs hatch grubs which feed on herb and bush roots. Grub development takes 3-4 years. The pest prefers stands at an altitude up to 600 meters above sea level.
Symptom
The adults are about 20-30 mm long. The larvae are harmful to the roots of trees and herbs. It damages especially the roots of pine trees.
Tree Species: Pine, Birch, Beech, Oak, Hornbeam, Rowan, Whitebeam, Maple, Lime, Poplar
Part of a plant- attacked: Roots, Leaf / Needle
Pest Category: Insects
Invasive Species: No
Present in EU: Yes
Add comment: Melolontha melolontha
Location map: Melolontha melolontha
print viewLegend:

Expert verified points

Unverified points
Observed by users on these tree species
Most sightings of the species
Last observations
There are a total of 1 observations of the species in the system



