Login | Registration | List of contributors

« Back

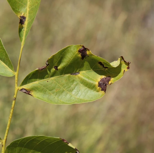
Marssonina juglandis

Walnut anthracnose

Description

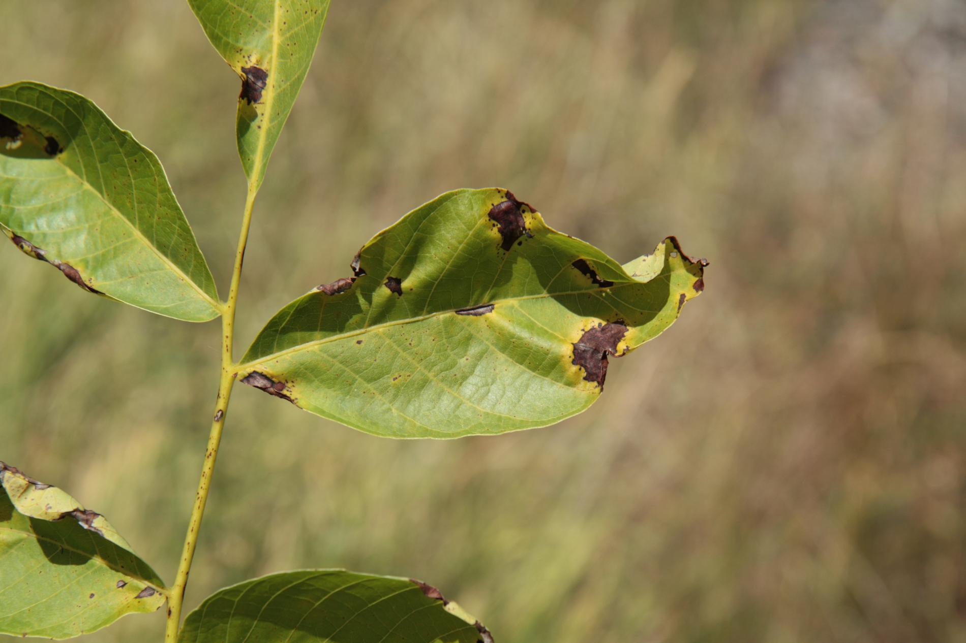
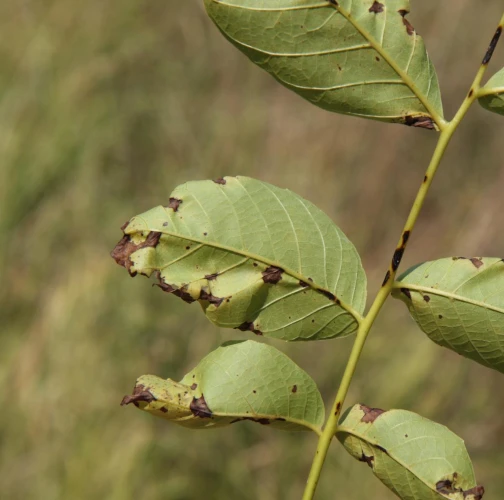
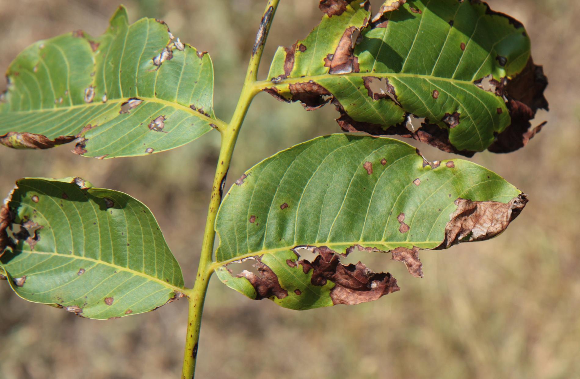
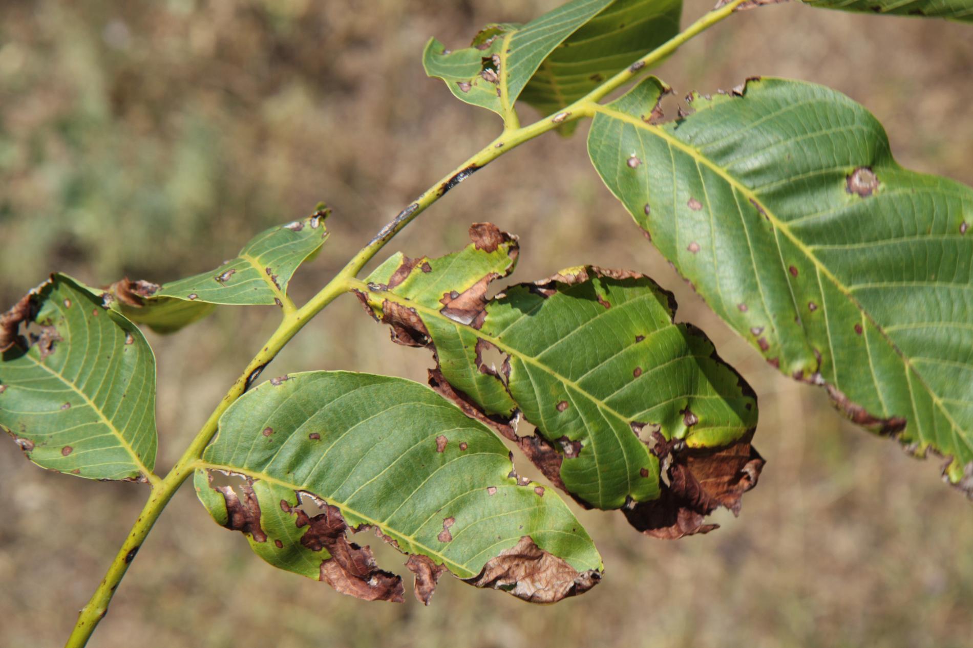
A leaf, twig and fruit disease (anthracnose) caused by the Gnomonia leptostyla, sexual stage of Marssonina juglandis. Conidia are formed in brown blotches in one year, but it is only in spring when the sexual stage starts on the leaf litter. Minute brown spots on leaves and twigs appear as early as in early June, progressing into severe necrosis by the end of July. The pericarp surface suffers black and gradually sunken blotches with cracks. The fungus causes leaf fall and inhibits tree growth and fertility.

Symptom

Minute brown spots on leaves and twigs appear as early as in early June, progressing into severe necrosis by the end of July. The pericarp surface suffers black and gradually sunken blotches with cracks. 

Tree Species: Walnut

Part of a plant- attacked: Leaf / Needle, Fruit / Seed

Pest significance: Harmful

Pest Category: Fungi

Invasive Species: No

Present in EU: Yes


Add comment: Marssonina juglandis


Location map: Marssonina juglandis

print view

Legend:

1

Expert verified points

3

Unverified points

Observed by users on these tree species

 

Most sightings of the species


Last observations

There are a total of 1 observations of the species in the system


Similar damage

Marssonina blight of poplar

Marssonina blight of poplar

Leaf spot pathogen

Leaf spot pathogen

Oak anthracnose

Oak anthracnose

Marssonina leaf spot on salix

Marssonina leaf spot on salix

Back to top