Login | Registration | List of contributors

« Back

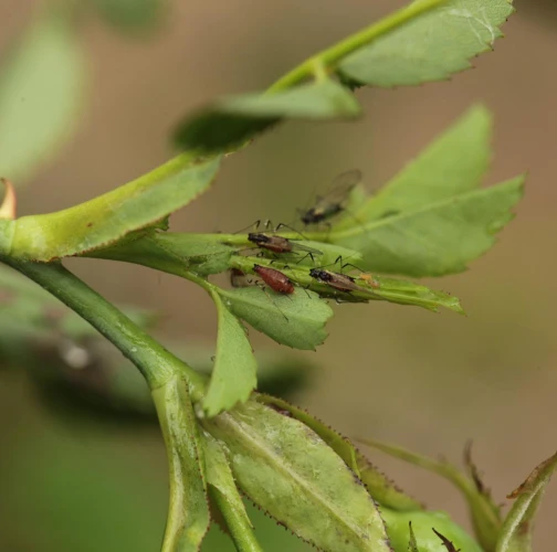
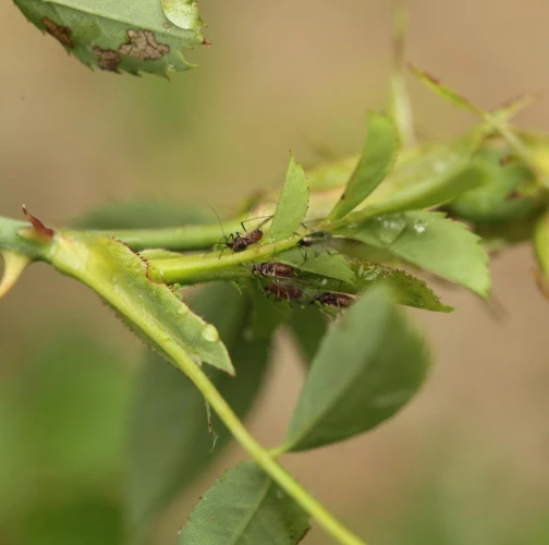
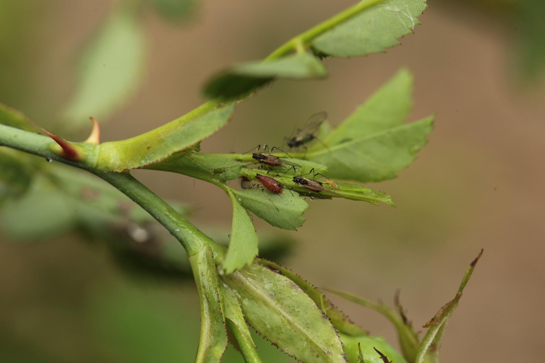
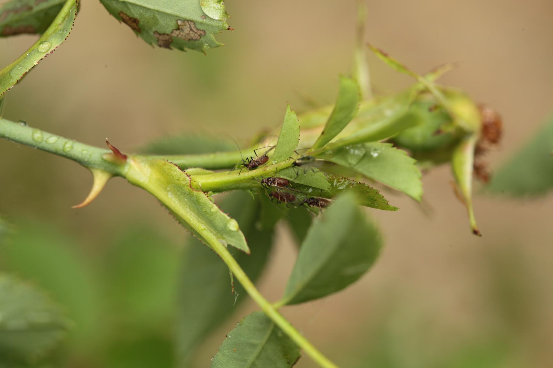
Macrosiphum rosae

Rose aphid

Description

The egg overwinters. The colonies build up in spring and summer. During the summer, the winged forms spread and invade new roses, sometimes secondary hosts as Ilex spp., Knautia spp. or  Dipsacus spp. The heavy infestation reduces the growth, and covers the plant with honeydew and sooty moulds.

Symptom

Colonies of winged aphids on shoots, around flower buds and on leaves.

Tree Species: Rose

Part of a plant- attacked: Leaf / Needle, Branch

Pest significance: Harmful

Pest Category: Insects

Invasive Species: No

Present in EU: Yes


Add comment: Macrosiphum rosae


Location map: Macrosiphum rosae

print view

Legend:

1

Expert verified points

3

Unverified points

Observed by users on these tree species

 

Most sightings of the species


Last observations

There are a total of 2 observations of the species in the system

milan zubrik

Macrosiphum rosaeRose aphid
milan zubrik
Number of votes: 0
Published: 23.5.2023

zahradkar

Macrosiphum rosaeRose aphid
zahradkar
Number of votes: 0
Published: 16.5.2022

zahradkar

Macrosiphum rosaeRose aphid
zahradkar
Number of votes: 0
Published: 16.5.2022


Similar damage

Rose rust

Rose rust

Rosy leaf-curling apple aphid

Rosy leaf-curling apple aphid

Black cherry aphid

Black cherry aphid

Oak aphid

Oak aphid

Back to top