Login | Registration | List of contributors

« Back

Macrosaccus robiniella

Leaf blotch miner moth

Description

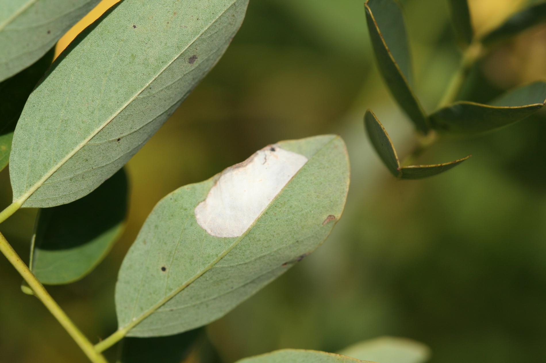
A small moth with a wingspan of 0.6 cm. The front wings have a brown-orange color brighter towards the end of the wings with a few white stripes. The lower wings are silvery, frayed at the edge. The adult larva grows to a length of 0.5 cm. The female oviposits on the underside of the leaf, usually a number of eggs per leaf. The larva feeds out a flat mine on the lower side of the leaf which also shows on the upper side. This mine is flat and looks like a white spot. Pest usually has three generations per year in the South and two generations in the North. The larvae pupate in the mine. The last generation moths hibernate. The hibernating moths oviposit the following May. The species originated in North America and was accidentally introduced into Europe (Switzerland, 1984). It has now been recorded from Switzerland, Germany, Austria, Slovenia, Croatia, Slovakia, Romania, Ukraine, Poland and Hungary.

Symptom

Mine on the underside of the leaves. Mines do not cross the central vein. Later, these spots enlarge, and by the end of September, the entire underside of the leaf is usually severely damaged. Due to defoliation, premature leaf fall was already observed in August.

Tree Species: Black Locust

Part of a plant- attacked: Leaf / Needle

Pest significance: Less harmful

Pest Category: Insects

Invasive Species: Yes

Present in EU: Yes


Add comment: Macrosaccus robiniella


Location map: Macrosaccus robiniella

print view

Legend:

1

Expert verified points

3

Unverified points

Observed by users on these tree species

 

Most sightings of the species


Last observations

There are a total of 3 observations of the species in the system

Marián Slamka

Macrosaccus robiniellaLeaf blotch miner moth
Marián Slamka
Number of votes: 0
Published: 22.10.2023


Similar damage

Locust digitate leaf miner

Locust digitate leaf miner

Lime leaf miner

Lime leaf miner

Black locust gall midge

Black locust gall midge

Oak powdery mildew

Oak powdery mildew

Back to top