Login | Registration | List of contributors

« Back

Macrodiplosis pustularis

Gall midge Macrodiplosis pustularis

Description

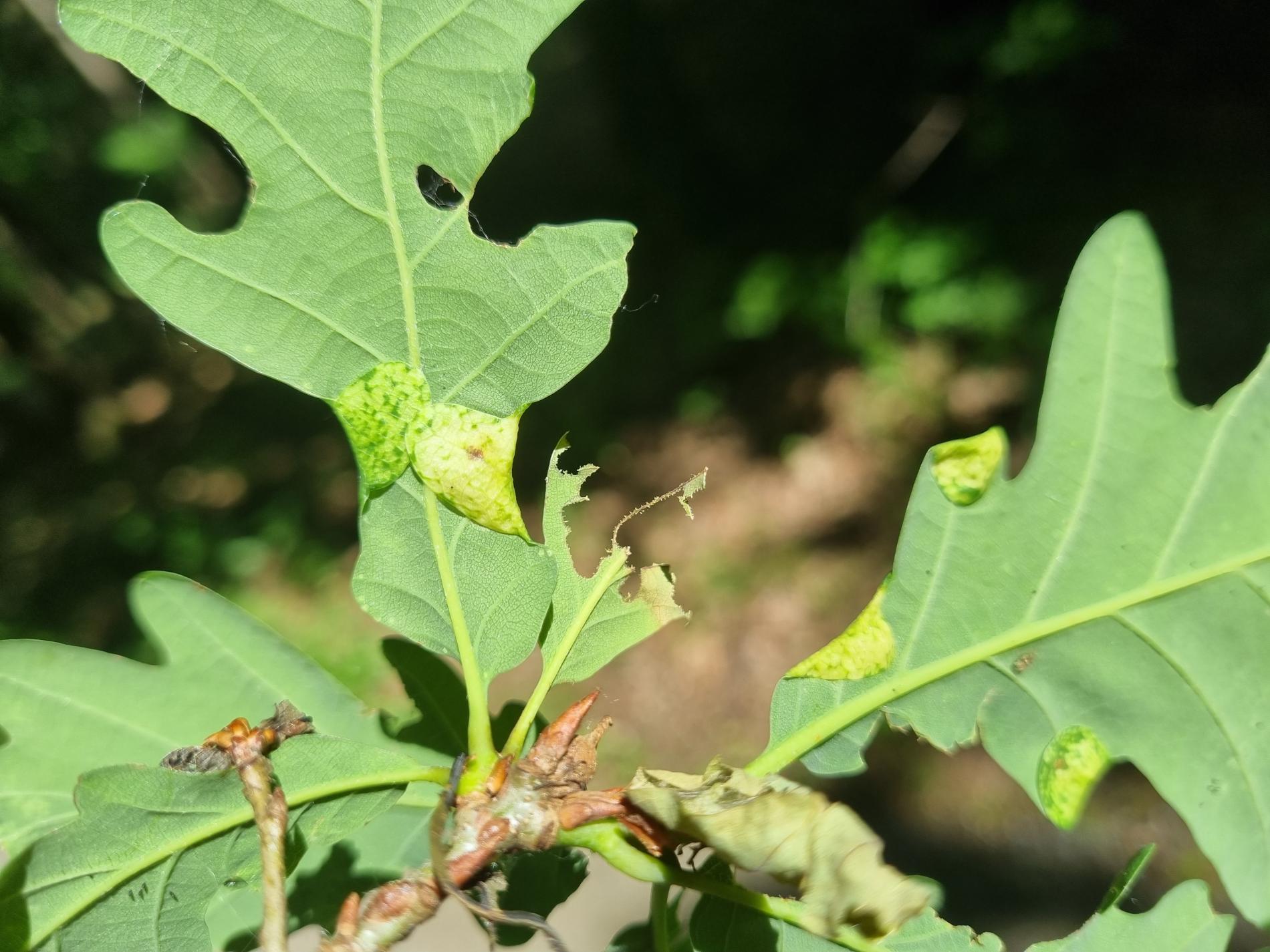
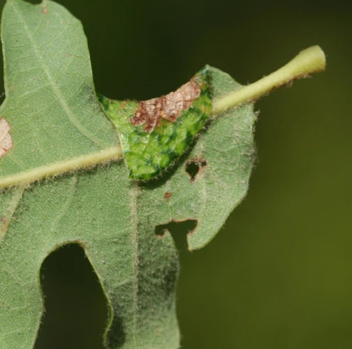
Macrodiplosis pustularis (= Macrodiplosis dryobia) is a species of gall midge belonging to the family Cecidomyiidae. These tiny flies are known for their unique life cycle, particularly their ability to induce the formation of galls on plants, which are abnormal growths that provide both food and protection for the developing larvae. The galls induced by Macrodiplosis pustularis are usually found on oak leaves. The larvae feed within the gall, consuming plant tissue that has been altered to meet their nutritional needs. This phase lasts through much of the growing season, after which the larvae typically drop to the ground to pupate. While Macrodiplosis pustularis is not typically considered a significant pest, its gall-forming activities can have some impact on the health and aesthetic value of oak trees, especially if infestations are heavy. The galls can cause leaf deformities and may reduce photosynthetic efficiency, though the overall impact on the tree's health is usually minimal.

Symptom

Galls are located at the outer edge of the leaf lobe. The folded part of the leaf becomes somewhat thickened and bent downward. It is covered by a mottled pattern. Inside the folded leaf, there are often more larvae. The larvae live in the leaf until June-July, when they pupate and fall to the ground.

Tree Species: Oak

Part of a plant- attacked: Leaf / Needle

Pest significance: Less harmful

Pest Category: Insects

Invasive Species: No

Present in EU: Yes


Add comment: Macrodiplosis pustularis


Location map: Macrodiplosis pustularis

Legend:

1

Expert verified points

3

Unverified points

Observed by users on these tree species


Similar damage

Flea beetle Crepidodera spp.

Flea beetle Crepidodera spp.

Gall midge Lasioptera populnea

Gall midge Lasioptera populnea

Lunar marbled brown

Lunar marbled brown

Cynipid gall wasp Cynips quercusfolii

Cynipid gall wasp Cynips quercusfolii

Back to top