Login | Registration | List of contributors

« Back

Hedya pruniana

Plum tortrix

Description

 

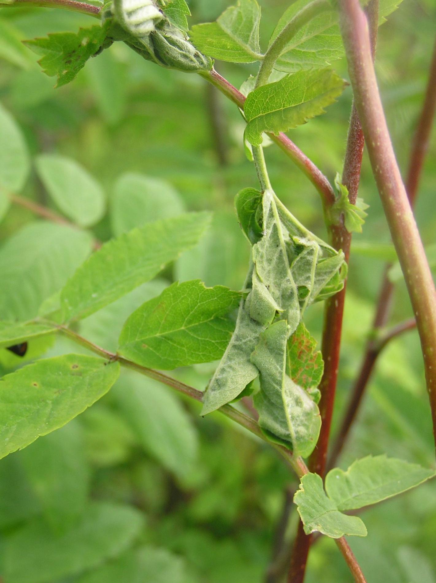
Hedya pruniana, also known as the plum tortrix, is a species of moth in the family Tortricidae, found throughout the Palearctic region, including Central Europe, Anatolia, Iran, the Ural, Transcaucasia, and western Kazakhstan. It has a wingspan of 15–19 mm, with forewings that are white or ochreous-tinged and marked with dark fuscous and brown patterns, while the hindwings are grey, darker in females. The larvae, which are bright green with black spots and a black head, feed on various plants such as Prunus spinosa (blackthorn), Crataegus (hawthorn), Rosa, Sorbus, and Corylus avellana (hazel). Adults appearing from May to July. The larvae of the plum tortrix (Hedya pruniana) create shelters by curling or folding leaves together, binding them with silk. These curled leaves provide a protective habitat where the larvae can feed in relative safety. Within these leaf shelters, the larvae consume the soft plant tissues, causing visible damage to the leaves. This habitat also protects them from predators and environmental stress until they overwinter and eventually pupate.

Symptom

Curling or folding leaves together. Larvae living inside.

Tree Species: Hawthorn, Rowan, Whitebeam, Hazel, Rose, Blackthorn

Part of a plant- attacked: Leaf / Needle

Pest significance: Less harmful

Pest Category: Insects

Invasive Species: No

Present in EU: Yes


Add comment: Hedya pruniana


Location map: Hedya pruniana

Legend:

1

Expert verified points

3

Unverified points

Observed by users on these tree species


Similar damage

Tent caterpillar

Tent caterpillar

Codling moth

Codling moth

Pocket plum gall

Pocket plum gall

Oak roller Aleimma loeflingiana

Oak roller Aleimma loeflingiana

Back to top