Login | Registration | List of contributors

« Back

Forda formicaria

Grass-root aphid

Description

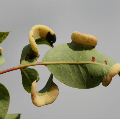
Forda formicaria (Linnaeus, 1767), commonly known as the grass-root aphid, primarily infests Pistacia species, with a preference for Pistacia terebinthus. The aphid forms distinctive half-moon-shaped galls on the leaves of its primary host. These galls range in color from green to red and are inhabited by fundatrix and its offspring. In late autumn, the alates (winged forms) leave the galls and migrate to the secondary host, typically grass roots (Poaceae), where they establish colonies. In these colonies, Forda formicaria reproduces parthenogenetically through winter. In Mediterranean regions and southwestern Asia, the species follows this host-alternation cycle. However, in other parts of Europe, Asia, and North America, it may complete its life cycle on grass roots without returning to Pistacia. This aphid is often found in association with ants, which tend to the colonies and may even reside within ant nests.

Symptom

Symptoms of Forda formicaria infestations include half-moon-shaped galls on Pistacia leaves and discoloration or stunting of grass roots where colonies form.

Tree Species: Pistacia

Part of a plant- attacked: Leaf / Needle

Pest significance: Less harmful

Pest Category: Insects

Invasive Species: No

Present in EU: Yes


Add comment: Forda formicaria


Location map: Forda formicaria

Legend:

1

Expert verified points

3

Unverified points

Observed by users on these tree species


Similar damage

Short-haired pistachio-grass aphid

Short-haired pistachio-grass aphid

Birch blister aphid

Birch blister aphid

Mealy grass root aphid

Mealy grass root aphid

Pistacia horn gall aphid

Pistacia horn gall aphid

Back to top