Login | Registration | List of contributors

« Back

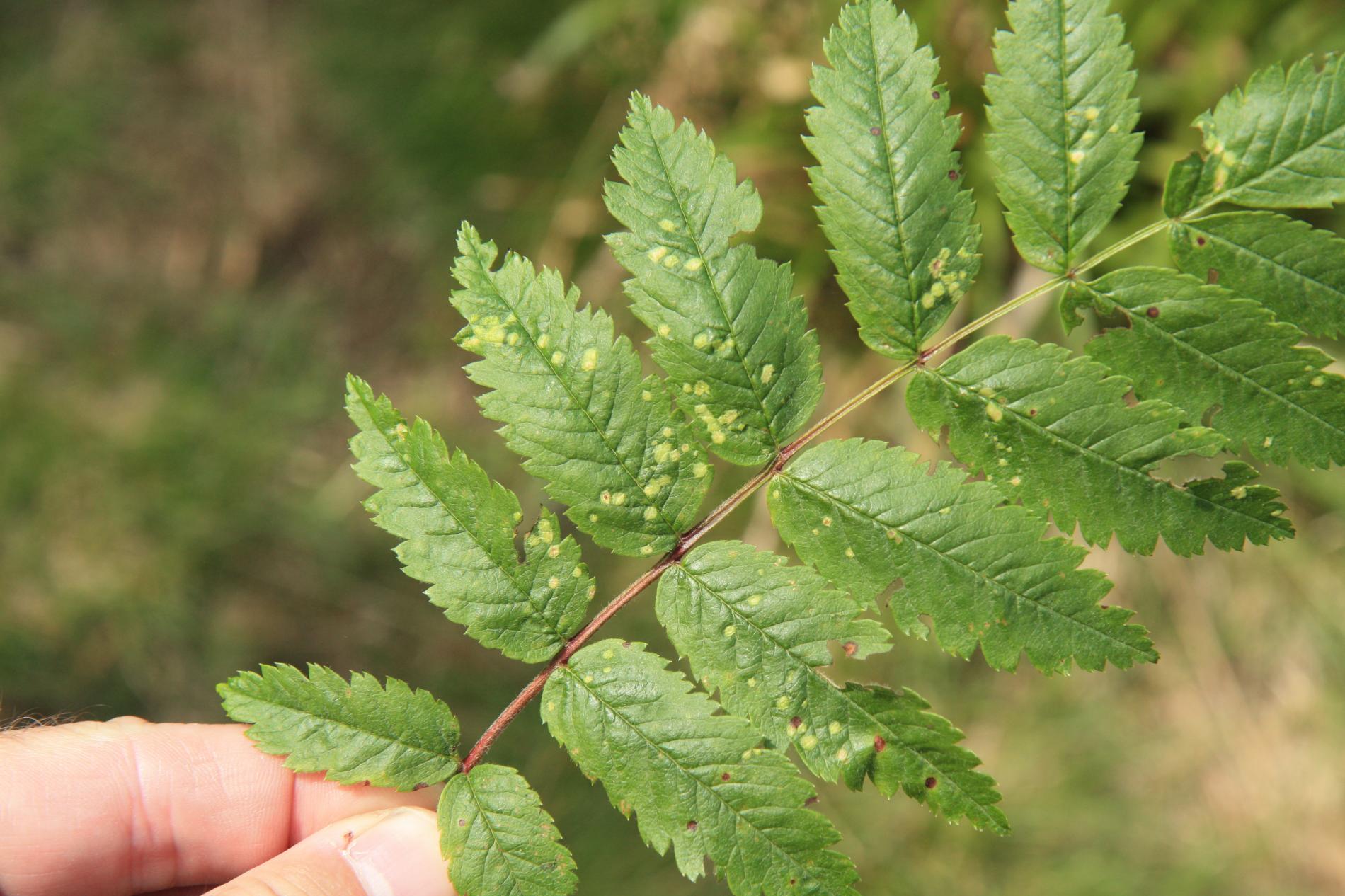
Eriophyes sorbi

Gall mite Eriophyes sorbi

Description

Eriophyes sorbi is a species of eriophyid gall mite known to specifically infest trees and shrubs of the genus Sorbus, which includes species such as rowan trees (Sorbus aucuparia) and others. The taxonomic status of the mites in this group is still not fully defined, and therefore, their taxonomic position relative to the related species Eriophyes arianus or Eriophyes pyri is not yet fully established. These mites are microscopic, typically less than 0.2 mm in length, and are difficult to see with the naked eye. They overwinter as adults in bark crevices or buds and emerge in the spring to feed on new growth. Despite their small size, they can cause noticeable damage to their host plants. Removing and destroying heavily infested leaves or branches can help reduce mite populations. In extreme cases, chemical treatments may be used, though they are usually not necessary for minor infestations.

Symptom

The primary symptom of Eriophyes sorbi infestation is the formation of galls on the leaves of the host plant. These galls are abnormal growths that develop in response to the mite's feeding. Small, pimple-like swellings or blisters appear on the upper and also under surface of the leaves. These galls can range in color from light green to reddish or brown as they mature.

Tree Species: Rowan, Whitebeam

Part of a plant- attacked: Leaf / Needle

Pest significance: Less harmful

Pest Category: Mites

Invasive Species: No

Present in EU: Yes


Add comment: Eriophyes sorbi


Location map: Eriophyes sorbi

Legend:

1

Expert verified points

3

Unverified points

Observed by users on these tree species


Similar damage

Mite Eriophyes exilis

Mite Eriophyes exilis

Eutypella sorbi

Eutypella sorbi

Mountain ash juniper rust

Mountain ash juniper rust

Gall mite Eriophyes similis

Gall mite Eriophyes similis

Back to top