Eriophyes padi
Plum leaf gall mite
Description
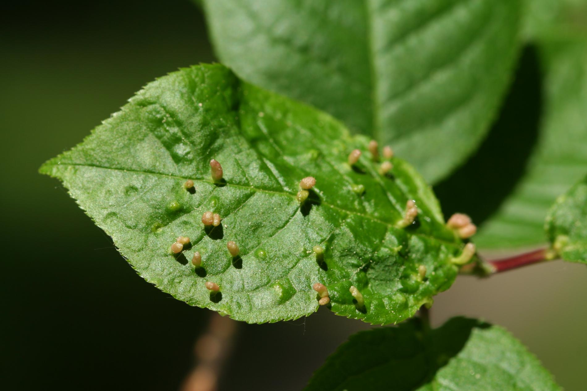
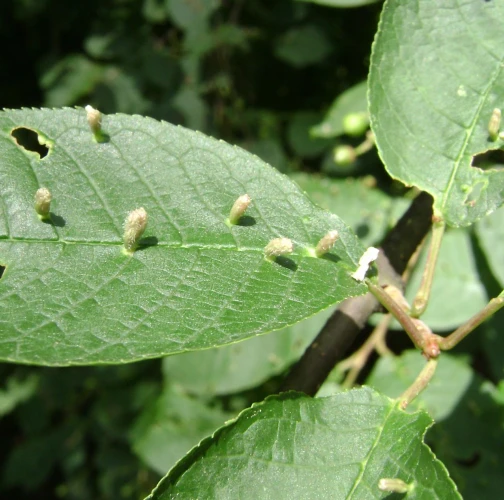
Pubescent knob-like galls, 1–2 mm high, found on the upper side of the leaf. Shape and colour vary. They can be spherical, elliptical to elongated elliptical, green, yellow, pink or red. Multiple galls occurring on the same leaf frequently cause deformation. Wide spread in Europe, but more frequent in southern parts. The main host is bird cherry (Prunus padus - Padus avium).
Symptom
Tiny galls on the upper side of the leaf. They can be spherical, elliptical to elongated, green, yellow, pink or red.
Tree Species: Cherry, Bird cherry
Part of a plant- attacked: Leaf / Needle
Pest significance: Less harmful
Pest Category: Mites
Invasive Species: No
Present in EU: Yes
Add comment: Eriophyes padi
Location map: Eriophyes padi
print viewLegend:

Expert verified points

Unverified points
Observed by users on these tree species
Most sightings of the species
Last observations
There are a total of 3 observations of the species in the system


