Login | Registration | List of contributors

« Back

Eriophyes laevis

Mite Eriophyes laevis

Description

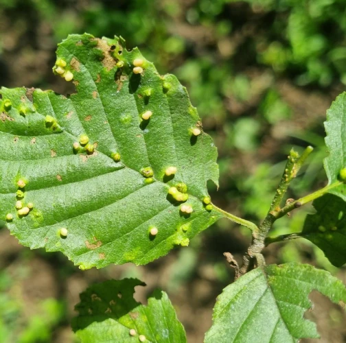
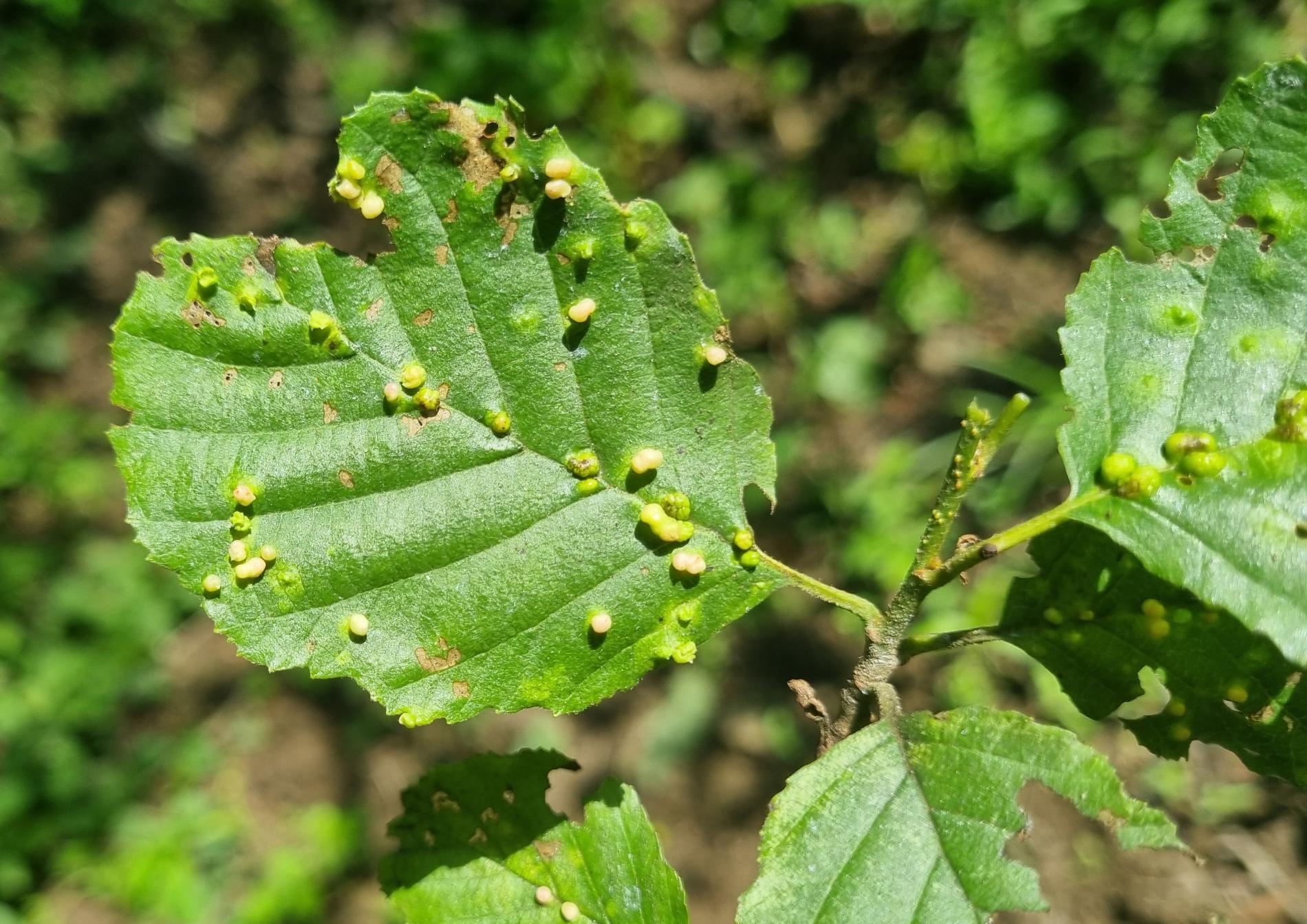
The mites themselves are difficult to see without magnification, but their damage is often visible to the naked eye. There are many small, round 2–4 mm long galls on the upper side of leaves. They occur on a large scale and leaves of the attacked tree can be covered with them. At the beginning they are yellow or green, later turning red or brown. In summary, Eriophyes laevis is a significant pest of alder trees that can cause deformities and stunted growth if left unchecked. Managing Eriophyes laevis infestations on alders requires a multi-faceted approach that involves cultural, chemical, and biological control methods, as well as prevention of spread through quarantine and inspection measures.

Symptom

Tiny galls on the top of the leaf.

Tree Species: Alder

Part of a plant- attacked: Leaf / Needle

Pest significance: Less harmful

Pest Category: Mites

Invasive Species: No

Present in EU: Yes


Add comment: Eriophyes laevis


Location map: Eriophyes laevis

Legend:

1

Expert verified points

3

Unverified points

Observed by users on these tree species


Similar damage

Mite Aceria brevitarsa brevitarsa

Mite Aceria brevitarsa brevitarsa

Gall mite Aculus tetanothrix

Gall mite Aculus tetanothrix

Gall mite Aceria tristriata

Gall mite Aceria tristriata

Mite Eriophyes inangulis

Mite Eriophyes inangulis

Back to top