Login | Registration | List of contributors

« Back

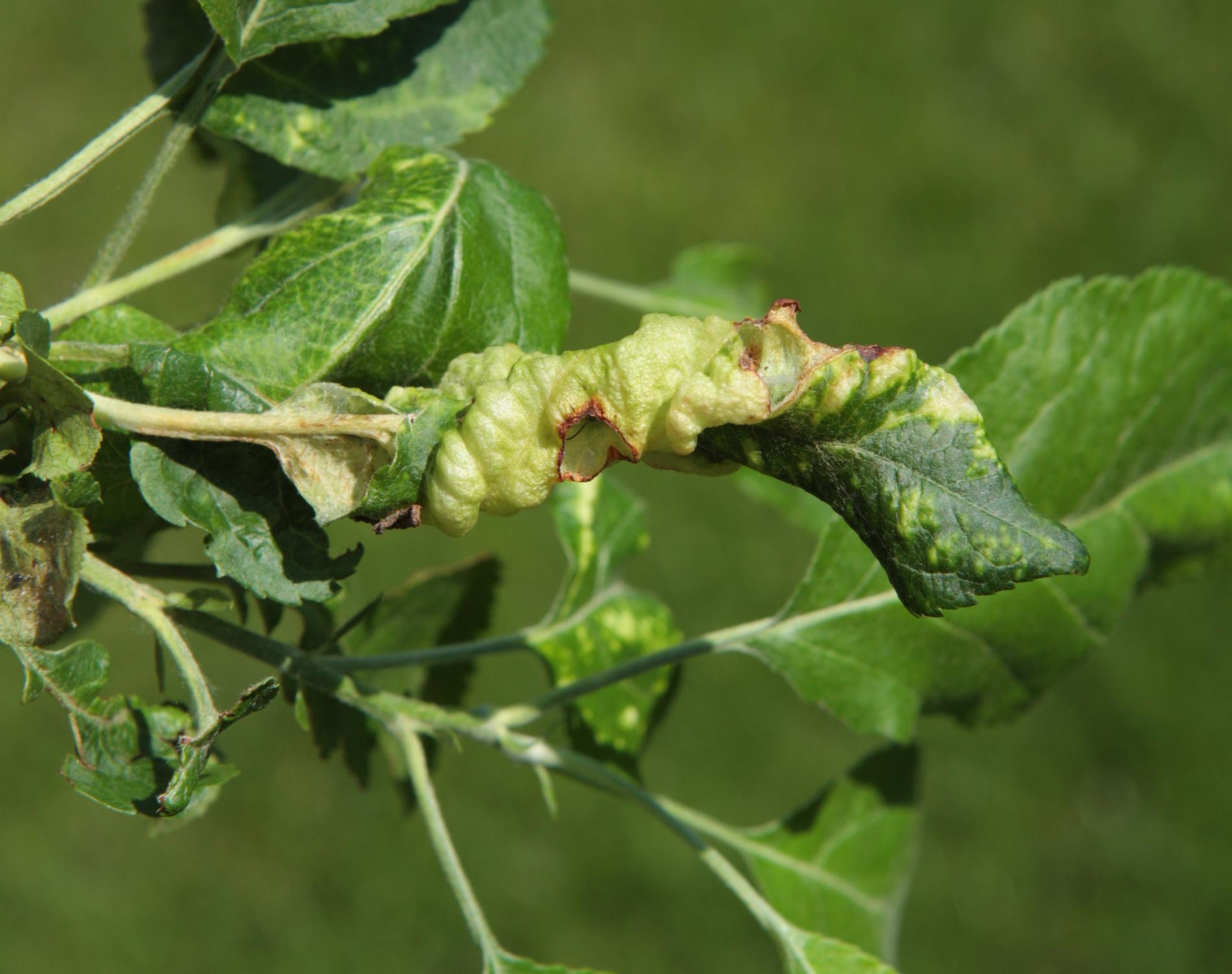
Dysaphis devecta

Rosy leaf-curling apple aphid

Description

This aphid overwinters in the egg phase. In the spring, the founder creates a small gall on the leaf. Later, small aphids occur mainly on the underside of the leaves. It also has 3-4 generations a year. The leaves are deformed in various ways, yellow to red on the upper side. This causes serious damage to gardens and orchards.

Symptom

Yellow, later red discoloration of the surface of deformed leaves.

Tree Species: Apple Tree

Part of a plant- attacked: Leaf / Needle

Pest significance: Harmful

Pest Category: Insects

Invasive Species: No

Present in EU: Yes


Add comment: Dysaphis devecta


Location map: Dysaphis devecta

print view

Legend:

1

Expert verified points

3

Unverified points

Observed by users on these tree species

 

Most sightings of the species


Last observations

There are a total of 2 observations of the species in the system

Lucia

Dysaphis devectaRosy leaf-curling apple aphid
Lucia
Number of votes: 0
Published: 31.5.2022

Daniela

Dysaphis devectaRosy leaf-curling apple aphid
Daniela
Number of votes: 0
Published: 28.5.2021

Daniela

Dysaphis devectaRosy leaf-curling apple aphid
Daniela
Number of votes: 0
Published: 28.5.2021

Daniela

Dysaphis devectaRosy leaf-curling apple aphid
Daniela
Number of votes: 0
Published: 28.5.2021

Daniela

Dysaphis devectaRosy leaf-curling apple aphid
Daniela
Number of votes: 0
Published: 28.5.2021


Similar damage

Mite Aceria macrorhyncha

Mite Aceria macrorhyncha

Black cherry aphid

Black cherry aphid

Gall mite Aculus tetanothrix

Gall mite Aculus tetanothrix

Gall mite Aceria tristriata

Gall mite Aceria tristriata

Back to top