Login | Registration | List of contributors

« Back

Dryocosmus kuriphilus

Chestnut gall wasp

Description

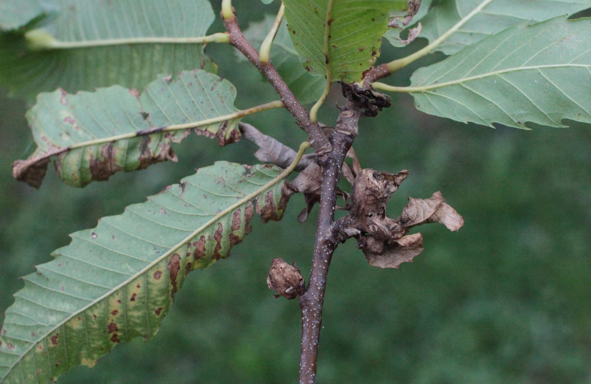
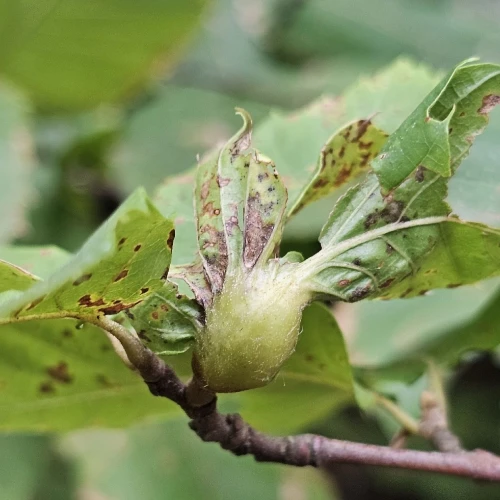
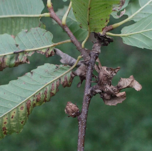
2.5 mm. A tiny cynipid wasp, dark brown or black colour with yellow-orange legs. One of the most harmful insects to chestnut in Europe, Asia and Nord America. Females lay up to 100 eggs in several buds from June to August. Hatched larvae overwinter until the following spring, when they prompt the development of rounded galls causing loud deformations on leaves/flowers and twig dieback. Adults emerge finally from the galls through a little circular hole. The main damage is the reduction of shoot elongation and fruit production. Univoltine. It can cause damages in orchards, nurseries, chestnut plantations and sparse chestnut trees in mixed broadleaved forests, from sea level to 1,000 m.

Symptom

Rounded galls causing loud deformations on leaves/flowers and twig dieback. They are green, red brown at the end of the season and during the winter.

Tree Species: Chestnut

Part of a plant- attacked: Leaf / Needle

Pest significance: Harmful

Pest Category: Insects

Invasive Species: Yes

Present in EU: Yes


Add comment: Dryocosmus kuriphilus


Location map: Dryocosmus kuriphilus

print view

Legend:

1

Expert verified points

3

Unverified points

Observed by users on these tree species

 

Most sightings of the species


Last observations

There are a total of 1 observations of the species in the system


Similar damage

Gall wasp Dryocosmus cerriphilus

Gall wasp Dryocosmus cerriphilus

Gall wasp Andricus conglomeratus

Gall wasp Andricus conglomeratus

Gall wasp Andricus galeatus

Gall wasp Andricus galeatus

Gall wasp Chilaspis nitida

Gall wasp Chilaspis nitida

Back to top