Login | Registration | List of contributors

« Back

Dryocosmus cerriphilus

Gall wasp Dryocosmus cerriphilus

Description

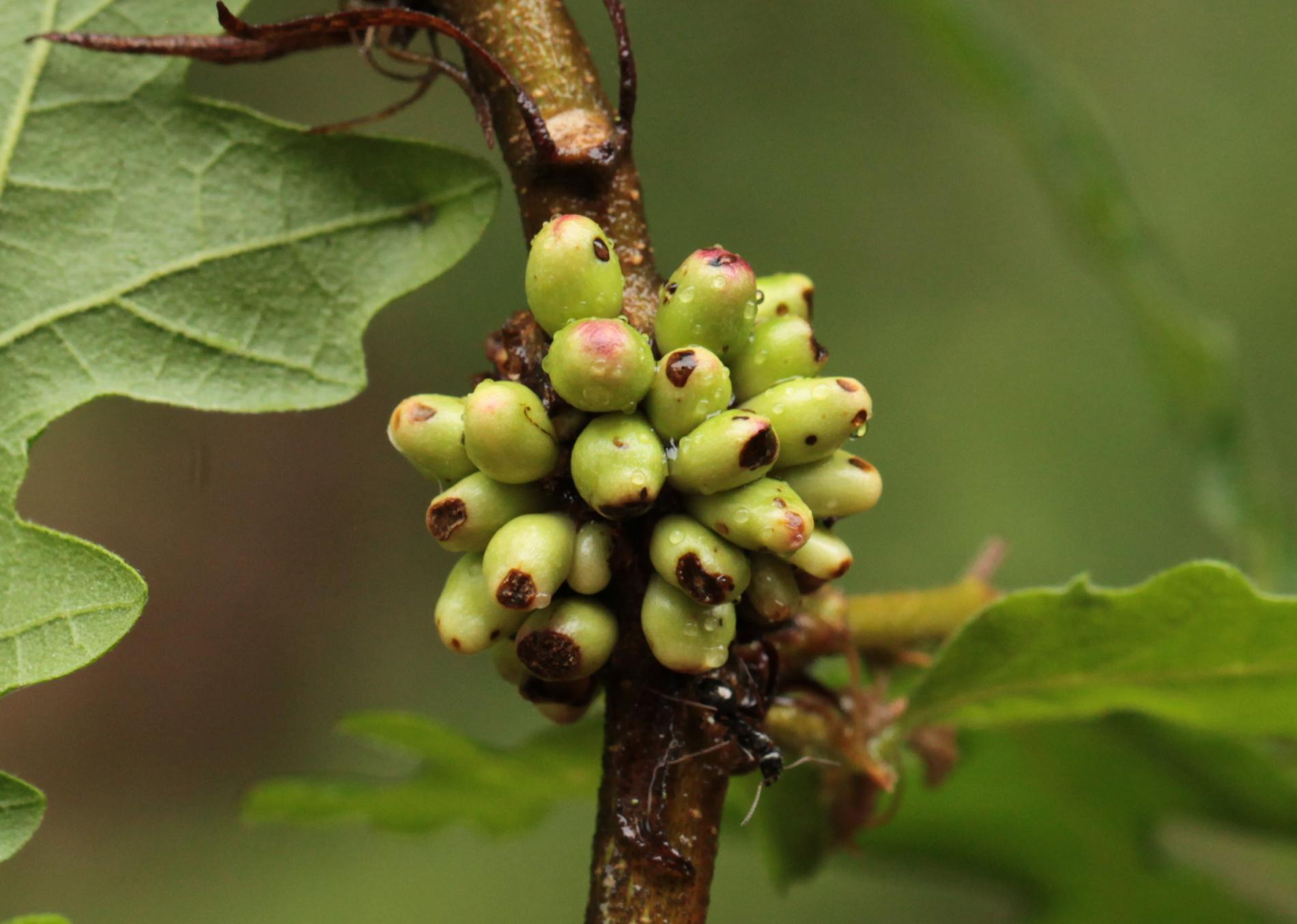
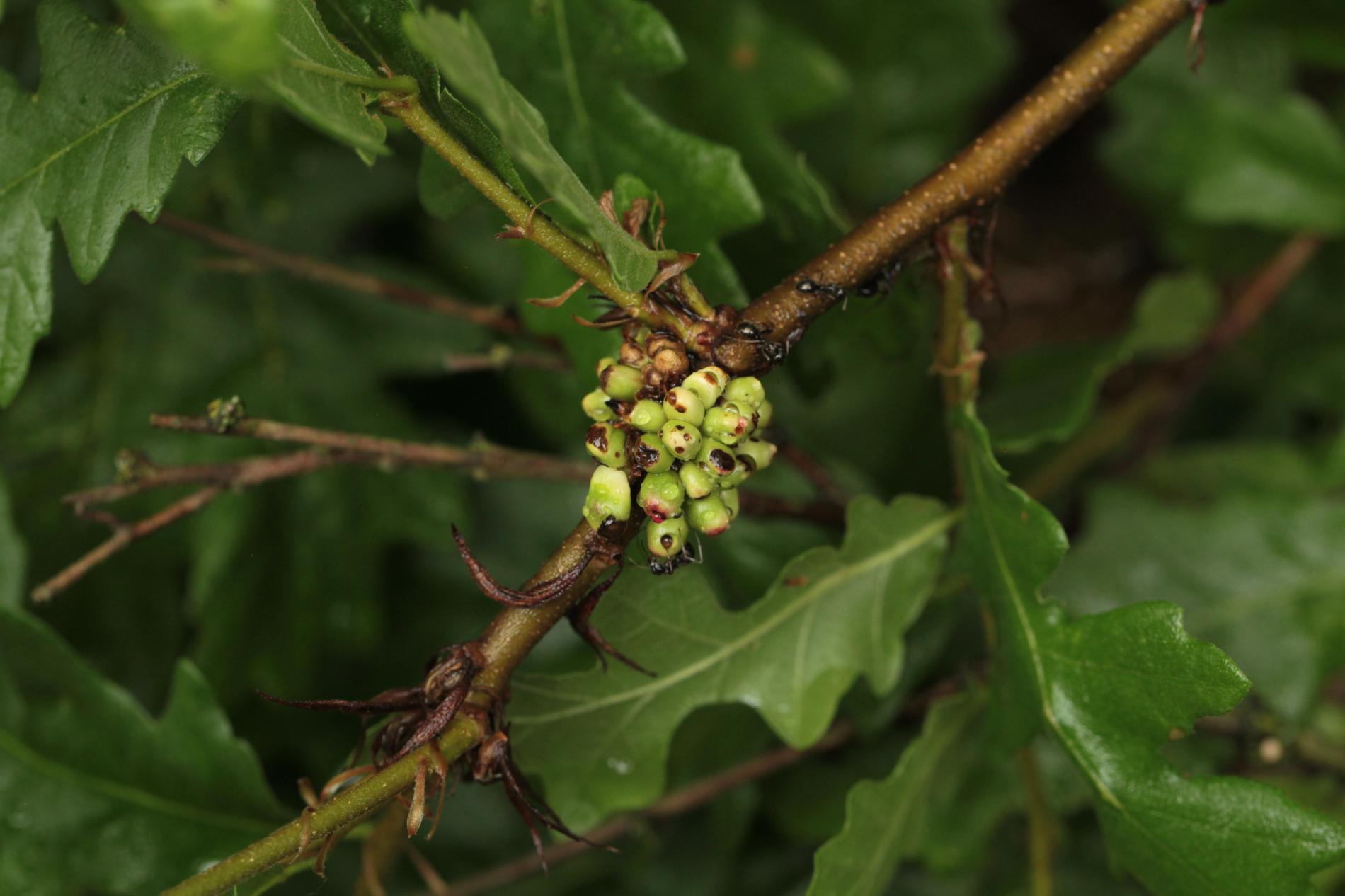
Dryocosmus cerriphilus is a gall-forming wasp from the family Cynipidae. It primarily infests species within the genus Quercus (oak) and is considered narrowly monophagous, with a preference for Quercus cerris and potentialy also Quercus petraea. This species exhibits an agamic lifecycle.

The galls are formed on twigs, typically in groups of 20–30. They are green, sticky, and egg-shaped, each measuring about 5 mm in length. These galls protrude evenly from all sides of the twig, with each gall being unilocular. Fresh galls often attract ants, likely due to secretions that provide nourishment. The sexual generation makes in smaller galls, approximately 5 mm in size, which form on the edges of leaves.

Dryocosmus cerriphilus is primarily distributed across Europe, where its host plants are abundant. While this species is not widespread, it can be locally abundant, particularly in oak stands with a high density of its preferred host species.

The presence of galls can negatively affect the health and appearance of host trees. On twigs, the galls may reduce their flexibility and vitality, potentially leading to a decline in overall branch health. On leaves, the smaller galls can disrupt the aesthetics of the foliage. Generaly its impact on the tree health status or aesthetic value is minimal.

Symptom

The asexual galls on twigs are green, sticky, and egg-shaped, forming dense clusters of 20–30 structures. On leaves, sexual generation forms smaller globular galls at the edges, protruding evenly on both sides of the leaf surface.

Tree Species: Oak

Part of a plant- attacked: Leaf / Needle, Branch

Pest significance: Less harmful

Pest Category: Insects

Invasive Species: No

Present in EU: Yes


Add comment: Dryocosmus cerriphilus


Location map: Dryocosmus cerriphilus

Legend:

1

Expert verified points

3

Unverified points

Observed by users on these tree species


Similar damage

Gall wasp Dryocosmus cerriphilus

Gall wasp Dryocosmus cerriphilus

Oak marble gall Andricus kollari

Oak marble gall Andricus kollari

Gall wasp Andricus dentimitratus

Gall wasp Andricus dentimitratus

Silk button gall

Silk button gall

Back to top